היא הכתה בגואם ואיי מריאנה ללא רחמים והותירה הרס וחורבן רב, צברה תאוצה בים הפיליפינים שנמצא במערב האוקיינוס השקט עם רוחות קבועות של 270 קמ"ש וכעת היא בדרך לפיליפינים ומאיימת על חייהם של מיליוני בני אדם, זה מה שהופך את הסופר טייפון "מנגקוט" לאם כל הסופות לפחות לשנה זו. הסופה צפויה לפגוע במדינת האיים בבוקר יום שבת.
בתוך שבוע בלבד הוגדר הסופר טייפון מנגקוט כסופה בקטגוריה 5, הגבוהה ביותר. מרכז הלחץ נמוך מאוד ועומד על 900 מיליבר, עוצמת הרוחות כרגע נעה בין 265-274 קמ"ש. צילום מיוחד מהלווין Himawari-8 לקראת השקיעה מראה עד כמה גדולה ועוצמתית הסופה.

כרגע הסופה נעה לכיוון האי לוזון שבצפון הפיליפינים אם כי יש מספר תרחישי אפשריים בנוגע ל"לנדפול" (הפגיעה ביבשה) אפשריים וכולם פחות או יותר עוברים בצפון הפיליפינים. בגלל גודלה של הסופה התזוזה שלה כמה ק"מ לפה או לשם לא תשנה הרבה, היא תשפיע על כל מדינת האיים וגם על טייוואן שנמצאת מצפון. עיקר הפעילות נמצאת מסביב לעין הסופה ולא בעין הסופה עצמה ולכן כל האיזורים שיעברו תחת העננות הכבדה והמפותחת מסביב לעין צפויים לספוג כמויות לא מבוטלות של גשם, רוחות חזקות ושלל תופעות מזג אוויר נלוות כמו גלים גבוהים במיוחד.

מסלול הסופה על פי המודלים עם נתיבים אפשריים בהם היא יכולה לעבור.
פגיעת הסופה באי רוטה.
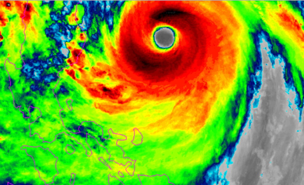
Super Typhoon Mangkhuts eye - העין של טייפון מנגקוט בתמונת לווין
הטייפון מתדלק את עצמו במים החמים של הים
מי ים הפיליפינים בטמפרטורות גבוהות מאוד, בין 29-30 מעלות, טמפרטורות אלה מייצרות תנאים אופטימלים לסופה להתחזק. מפת הטמפרטורות של האוקיינוס מראה שהטייפון יעבור באיזור חם יותר מעל פני הים ולכן צפוי להתחזק עוד בשעות הקרובות ולהגיע לרוחות קבועות של 290 קמ"ש.

טמפרטורות מי הים הבוקר.

העין של מנגקוט מצילום הלווין.
נמשיך לעדכן כשיהיו נתוני מזג אוויר נוספים ומעודכנים על הסופה. מוזמנים לעקוב גם בדף מזג האוויר בפייסבוק לעדכונים.
פורסם לראשונה בתאריך 14/09/2018, כל הזכויות שמורות. אין להעתיק, לפרסם או לעשות כל שימוש אחר במאמר ללא אישור מפורש בכתב מבעלי האתר.
אפשר לקבל ממני עדכונים שוטפים בערוץ הטלגרם שלי: לחצו כאן למעקב