סופה טרופית מקבל שם. שקע טרופי לא. אם אתה מעדיף באנגלית אני אכתוב:
- ☼
- ●
- הוריקן מג'ור עומד להווצר בפסיפי! אסף
- 283
- מיקום: חיפה
- 283
הוריקן מג,ור (major) הוא עוצמה 3+ כלומר 178 קמ"ש ומעלה והרבה מאוד גשם.
- ☼
- o
- אולי יתקרב ליבשה. שווה לעקוב אסף
- 45
- מיקום: חיפה
- 45
- ☼
- o
- ללא ספק שווה מעקב, תודה רבה על העדכון תום
- 49
- מיקום: קרית חיים
- 49
- ☼
- ●
- והנה התחלת המעקב אחריו, מצורפת תמונת לווין אינפרא אדום שלו תום
- 101
- מיקום: קרית חיים
- 101
נוצר ממש עכשיו (בשעות האחרונות) ולכן עדיין מכונה שקע טרופי 12E (שמתי לב שתמיד מוסיפים למספר של שקע טרופי את האות E). קשה להאמין ולתפוס אבל אוסף העננים שרואים בתצ''ל עתידים להתפתח ולהתחזק להוריקן בדרגה 3
ההודעה נערכה
- ☼
- ●
- הצפות בוירג'יניה חנוך א
- 155
- 155
- ☼
- o
- ליתר דיוק הים עלה על היבשה חחח פסיכי לגמרי! תום
- 65
- מיקום: קרית חיים
- 65
- ☼
- o
- קשור לוירג'ין ריבר? אליחי
- 50
- מיקום: החניון הירוק - צפון הצפון
- 50
- ☼
- ●
- צ'נגדו בסין - שוב 200 ממ ביום חנוך א
- 104
- ☼
- o
- גם הלווין נותן הערכה דומה חנוך א
- 117
- מיקום: רמת גן
- 117
- ☼
- o
- דווקא לא ממש, רוב הכמויות נמוכות מ-100 מ''מ ומקסימום 140 מ''מ תום
- 57
- ☼
- ●
- מאחר ואתה מתעקש חנוך א
- 94
- מיקום: רמת גן
- 94
טיפה צפונה לעיר
- ☼
- o
- אהה אוקיי חחח מודה שאני קטנוני לפעמים, אשתדל להיות פחות תום
- 69
- מיקום: קרית חיים
- 69
- ☼
- ●
- קיבל שם עכשיו - Genevieve אסף
- 35
- מיקום: חיפה
- 35
זה מה שיש לNational Hurricane Center להגיד על הסופה:
tropical depression quickly strengthens into a tropical storm... ...additional rapid strengthening is anticipated and Genevieve is expected to become a hurricane on Monday
תרגום שלי:
השקע הטרופי מתחזק לסופה טרופית במהירות. התחזקות מהירה נוספת צפויה והסופה כנראה תהפוך להוריקן ביום שני (זמן ארצות הברית אז זה יום שני אחר הצהריים בערך אצלנו)
tropical depression quickly strengthens into a tropical storm... ...additional rapid strengthening is anticipated and Genevieve is expected to become a hurricane on Monday
תרגום שלי:
השקע הטרופי מתחזק לסופה טרופית במהירות. התחזקות מהירה נוספת צפויה והסופה כנראה תהפוך להוריקן ביום שני (זמן ארצות הברית אז זה יום שני אחר הצהריים בערך אצלנו)
- ☼
- ●
- https://www.nhc.noaa.gov/?epac אסף
- 64
- מיקום: חיפה
- 64
- ☼
- ●
- תודה והערכה רבות על המידע והתרגום, מרתק! לפחות לא תפגע ישירות תום
- 39
- מיקום: קרית חיים
- 39
באף איזור אם כי היא כנראה תשפיע על מפרץ גולף ולה פז
- ☼
- o
- שמח בגבול איטליה שוויץ חנוך א
- 126
- מיקום: רמת גן
- 126
- ☼
- ●
- ממש קרנבל של צבעוניות! תום
- 33
- מיקום: קרית חיים
- 33
לגבי צ'נגדו, כמות מטורפת! (במונחים שלנו, אצלם זה שגרתי כנראה).
חנוך #17 זה מטורף לגמרי! ידוע כמה ירד?
חנוך #17 זה מטורף לגמרי! ידוע כמה ירד?
ההודעה נערכה
- ☼
- o
- Chengdu בשבוע - 450 ממ חנוך א
- 48
- 48
- ☼
- ●
- גשמים כבדים גרמו לנילוס לעלות על גדותיו בסודן ולגרום להצפות חנוך א
- 119
- 119
ההודעה נערכה
- ☼
- ●
- Devon בדרום מערב אנגליה חטפה עד 80 ממ ואולי תחטוף עוד חנוך א
- 49
- ☼
- o
- גם דרום אירלנד חטפה עד 90 ממ חנוך א
- 37
- 37
- ☼
- o
- סופה עצבנית בהונגריה עם זנב בקרואטיה חנוך א
- 98
- מיקום: רמת גן
- 98
- ☼
- ●
- הסופה הורידה עד 200 מ''מ בגבול הונגריה/סלובקיה חנוך א
- 57
- מיקום: רמת גן
- 57
עם קצב גשם שעבר לפעמים את 200 מ''מ לשעה
- ☼
- ●
- וואו! חנוך יקירנו, תודה רבה על כל העדכונים והסרטונים. תום
- 36
- מיקום: קרית חיים
- 36
ללא ספק מכ''ם עצבני. לגבי דבון בדרום-מערב אנגליה, זה נראה כמו 800 מ''מ ולא 80
ההודעה נערכה
- ☼
- ●
- עדכון לגבי הוריקן ''Genevieve'' תום
- 54
- מיקום: קרית חיים
- 54
כפי שציינתי בכותרת ''ג'נבייאב'' התחזק להוריקן בדרגה 1, התחזית שלו התעדכנה והוא צפוי להגיע בשיא עוצמתו לדרגה 4 וישפיע על מפרץ הגולף של קליפורניה
- ☼
- ●
- שכחתי לצרף צילום לווין אז מצרף כעת. כעקרון היא נראית חלשה ועדיין בשלבי התארגנות תום
- 60
- מיקום: קרית חיים
- 60
וללא עין ברורה אבל רואים כבר זנב ארוך ועבה של ענני סערה
- ☼
- ●
- כן, הוא מתחזק יפה, כבר 136 קמ"ש אסף
- 27
- 27
יש tropical storm watch לדרום Baja California, זה אומר שתנאים של סופה טרופית יכולים להתרחש תוך 48 שעות
- ☼
- ●
- אכן...תודה רבה שציינת את המהירות, ברחה לי חחח תום
- 37
- מיקום: קרית חיים
- 37
כעקרון משבי הרוח החזקים במהירות של 167 קמ''ש אבל דרגת ההוריקן נקבעת כמובן לפי המשבים הקבועים, בכל מקרה נראה שהיא בדרך הבטוחה לדרגה 2
- ☼
- ●
- עכשיו רוח קבועה של 160 קמ"ש = קטגוריה 2 אסף
- 25
- 25
צפוי להתחזק במהרה עוד מעט
- ☼
- o
- 185 עכשיו = קטגוריה 3 אסף
- 25
- מיקום: חיפה
- 25
ההודעה נערכה
- ☼
- o
- נוצרה לgenevieve עין אסף
- 52
- מיקום: חיפה
- 52
- ☼
- ●
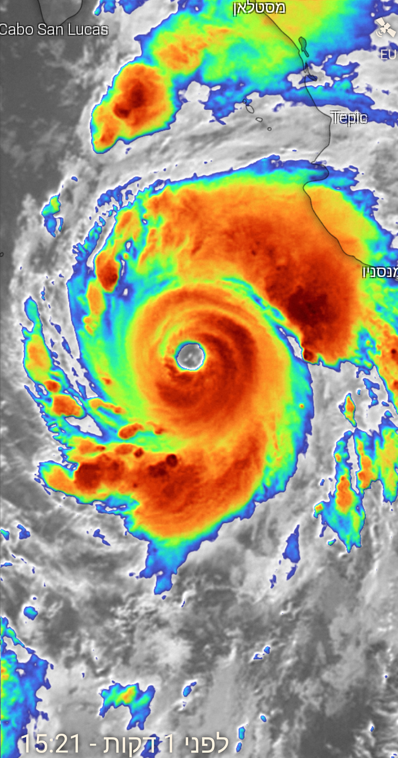
- הוא ללא ספק התפתח במהירות, כעת עינו אפילו יפה יותר וגדולה יותר תום
- 48
- מיקום: קרית חיים
- 48
רואים שהוא עוצמתי מאד וקליפורניה ברת מזל שהוא חולף מערבה ממנה, אם כי הוא ישפיע על מפרץ הגולף. למעשה רואים ששוליו הצפון-מזרחיים כן משפיעים על חלק מקו החוף
ההודעה נערכה
- ☼
- ●
- עכשיו קטגוריה 4 - פשוט מדהים המהירות בה הוא מתחזק אסף
- 25
- מיקום: חיפה
- 25
209 קמ"ש
ההודעה נערכה
- ☼
- o
- זה מטורף לגמרי! התחסק ב-3 דרגות בחצי יממה בערך, שגעון! תום
- 27
- מיקום: קרית חיים
- 27
- ☼
- o
- ז'נבייב וחברות שלה חנוך א
- 80
- מיקום: רמת גן
- 80
- ☼
- o
- אין כמעט גשם סביב הסופה ינון
- 21
- מיקום: אילת
- טמפרטורה: 36.0°
- 21
- ☼
- ●
- 70% סיכוי ליצירת שקע טרופי באטלנטי תוך יומיים אסף
- 137
- מיקום: חיפה
- 137
90% תוך 5 ימים.
יכול להיות שיפגע בפלורידה ואולי יגיע לכדי הוריקן, לכן כדאי לעקוב. בינתיים אני מצרף פה כדי לא ליצור ספאם, אך אם יתחזק ויהפוך למשהו רציני, אפרסם הודעה חדשה.
תמונה ראשונה - לאן השקע יתקדם בזמן הקרוב לפי מודלים שונים.
תמונה שנייה - לאיזה עוצמה invest 98L יגיע לפי מודלים שונים. אם יהפוך לסופה טרופית, שמו יהיה Laura, שם L הכי מוקדם אי פעם.
תמונה שלישית - איפה נמצא האיזור המתפתח עכשיו.
יכול להיות שיפגע בפלורידה ואולי יגיע לכדי הוריקן, לכן כדאי לעקוב. בינתיים אני מצרף פה כדי לא ליצור ספאם, אך אם יתחזק ויהפוך למשהו רציני, אפרסם הודעה חדשה.
תמונה ראשונה - לאן השקע יתקדם בזמן הקרוב לפי מודלים שונים.
תמונה שנייה - לאיזה עוצמה invest 98L יגיע לפי מודלים שונים. אם יהפוך לסופה טרופית, שמו יהיה Laura, שם L הכי מוקדם אי פעם.
תמונה שלישית - איפה נמצא האיזור המתפתח עכשיו.
- ☼
- ●
- עוד איזור קיים, עם פחות סיכוי להווצר בזמן הקרוב: אסף
- 36
- מיקום: חיפה
- 36
20% תוך יומיים לשקע טרופי ו60% תוך 5 ימים.
סיכוי גדול להפוך לסופה טורפית לכן כדאי לעקוב.
תמונה ראשונה - לאן השקע יתקדם בזמן הקרוב לפי מודלים שונים.
תמונה שנייה - לאיזה עוצמה invest 97L יגיע לפי מודלים שונים. אם יהפוך לסופה טרופית אחרי השקע שפירסמתי קודם, שמו יהיה Marco, שם M הכי מוקדם אי פעם.
תמונה שלישית - איפה נמצא האיזור המתפתח עכשיו.
סיכוי גדול להפוך לסופה טורפית לכן כדאי לעקוב.
תמונה ראשונה - לאן השקע יתקדם בזמן הקרוב לפי מודלים שונים.
תמונה שנייה - לאיזה עוצמה invest 97L יגיע לפי מודלים שונים. אם יהפוך לסופה טרופית אחרי השקע שפירסמתי קודם, שמו יהיה Marco, שם M הכי מוקדם אי פעם.
תמונה שלישית - איפה נמצא האיזור המתפתח עכשיו.
ההודעה נערכה
- ☼
- ●
- תודה רבה והערכה רבה על העדכון המושקע והמפורט מאד תום
- 30
- מיקום: קרית חיים
- 30
ללא ספק שווה מעקב צמוד. מצד אחד עד עכשיו רובם המכריע של השקעים שנוצרו לא הצליחו להתפתח לכדי הוריקן אך מצד שני נראה שזו עונה פעילה במיוחד אם כבר הגענו ל-L, אבל זה באמת מוזר לי כי המרכז המטאורולוגי של ארה''ב נותן שמות רק לסופה המתפתחת לכדי הוריקן. עכשיו הסתכלתי והם מחשיבים. בספירת השמות גם שקעים טרופיים שהתפוגגו ככאלה, מוזר לי.
אסף #38 באמת המון תודה על העדכונים. כל המודלים או לפחות כמעט כולם צופים ששתי הסופות שצפויות להיווצר ייכנסו לאיזור פלורידה וצפון ארה''ב, יהיה מעניין לראות מה קורה איתן.
#40 תודה רבה על ההבהרה, למדתי משהו חדש/הובהר לי משהו חדש :-)
אסף #38 באמת המון תודה על העדכונים. כל המודלים או לפחות כמעט כולם צופים ששתי הסופות שצפויות להיווצר ייכנסו לאיזור פלורידה וצפון ארה''ב, יהיה מעניין לראות מה קורה איתן.
#40 תודה רבה על ההבהרה, למדתי משהו חדש/הובהר לי משהו חדש :-)
ההודעה נערכה
- ☼
- ●
- סופה טרופית מקבל שם. שקע טרופי לא. אם אתה מעדיף באנגלית אני אכתוב: אסף
- 115
- ☼
- ●
- עוד קצת סדר אסף
- 26
- מיקום: חיפה
- 26
כשאני אומר שיש איזור עם סיכוי להתפתח קוראים לזה באנגלית invest/tropical wave/disturbance. אין לזה ממש שם בעברית.
אם הוא מתפתח זה הופך לשקע טרופי - tropical depression. עדיין לא מקבל שם אמיתי, השם יהיה משהו כמו ten-e. משהו מוזר כזה.
אחר כך זה ממשיך לסופה טרופית - tropical storm, פה כבר יש שם ואז הוריקן...
אם הוא מתפתח זה הופך לשקע טרופי - tropical depression. עדיין לא מקבל שם אמיתי, השם יהיה משהו כמו ten-e. משהו מוזר כזה.
אחר כך זה ממשיך לסופה טרופית - tropical storm, פה כבר יש שם ואז הוריקן...
- ☼
- ●
- סדר חשוב וקריטי! תודה רבה עליו! שאלה אחת נותרה לי לא פתורה - תום
- 41
- מיקום: קרית חיים
- 41
ישנן סופות טרופיות שאינן מתפתחות לכדי הוריקן, כלומר שקע טרופי שמצליח להתפתח לסופה טרופית אך לא להוריקן, במקרה כזה נותנים לו שם?
- ☼
- ●
- כן. כמו Joesphine וKyle שהיו לפני פחות משבוע אסף
- 62
- מיקום: חיפה
- 62
לא מחכים לראות אם יהפוך להוריקן. אם יש סופה טרופית (רוחות קבועות של 63 קמ"ש) - ישר נותנים שם אמיתי
ההודעה נערכה
- ☼
- ●
- וואלה. אז לווידוא סופי - שקע טרופי לא מקבל שם רק אם הוא נשאר כך עד התפוגגותו, תום
- 46
- מיקום: קרית חיים
- 46
כלומר ברגע שהוא מתפתח לכדי סופה טרופית חלשה הוא מקבל שם
- ☼
- ●
- בדיוק! אסף
- 23
- מיקום: חיפה
- 23
יש מצב שהתבלבלת כי כאשר סופה טרופית/הוריקן נחלש הוא עוד פעם הופך לשקע טרופי, אבל הוא נשאר עם השם! (:
- ☼
- ●
- ג'נבייב כנראה תגלח את השפיץ של באחה קליפורניה חנוך א
- 48
- מיקום: רמת גן
- 48
ותוריד לפי התחזית 180 מ''מ בקאבו סן לוקאס
ההודעה נערכה
- ☼
- ●
- תודה אסף
- 23
- מיקום: חיפה
- 23
נחכה ונראה
הוספת דיווח
מקרא סימנים
הוספת תגובה- ☼ הודעה חדשה
- ● הודעה עם תוכן
- o הודעה ללא תוכן
משקיען
מדווח מאתר סקי
מדווח מלב ים
