משהו לא ברור ליד הודו
- ☼
- o
- עדכון טייפונים/ הוריקנים חנוך א
- 214
- ☼
- o
- תחזית חנוך א
- 114
- ☼
- o
- תחזית גשם חנוך א
- 133
- ☼
- ●
- התחזית לאי הפיליפיני הזעיר Basco חנוך א
- 99
- ☼
- ●
- Chanthu פורמלית רק 140 קמ"ש אבל לפי מצב העין חנוך א
- 50
- ☼
- ●
- מה כוונתך? אתה חושב שבפועל היא יותר עוצמתית? תום
- 37
- מיקום: קריות
- 37
טייפונים בכללי גדולים מאוד גם בדרגות הנמוכות
- ☼
- ●
- כנראה שמאז המדידה הייתה עלייה תלולה במהירות חנוך א
- 42
- מיקום: רמת גן
- 42
זו תופעה די שכיחה
- ☼
- o
- כן, הגיוני תום
- 21
- מיקום: קריות
- 21
- ☼
- o
- Conson מרטיב את הפיליפינים חנוך א
- 43
- ☼
- o
- מסלולו הצפוי חנוך א
- 44
- ☼
- o
- הצפי במנילה חנוך א
- 41
- ☼
- ●
- לפי התחזית הנוכחית Basco עומדת לחטוף אותה חנוך א
- 37
- ☼
- o
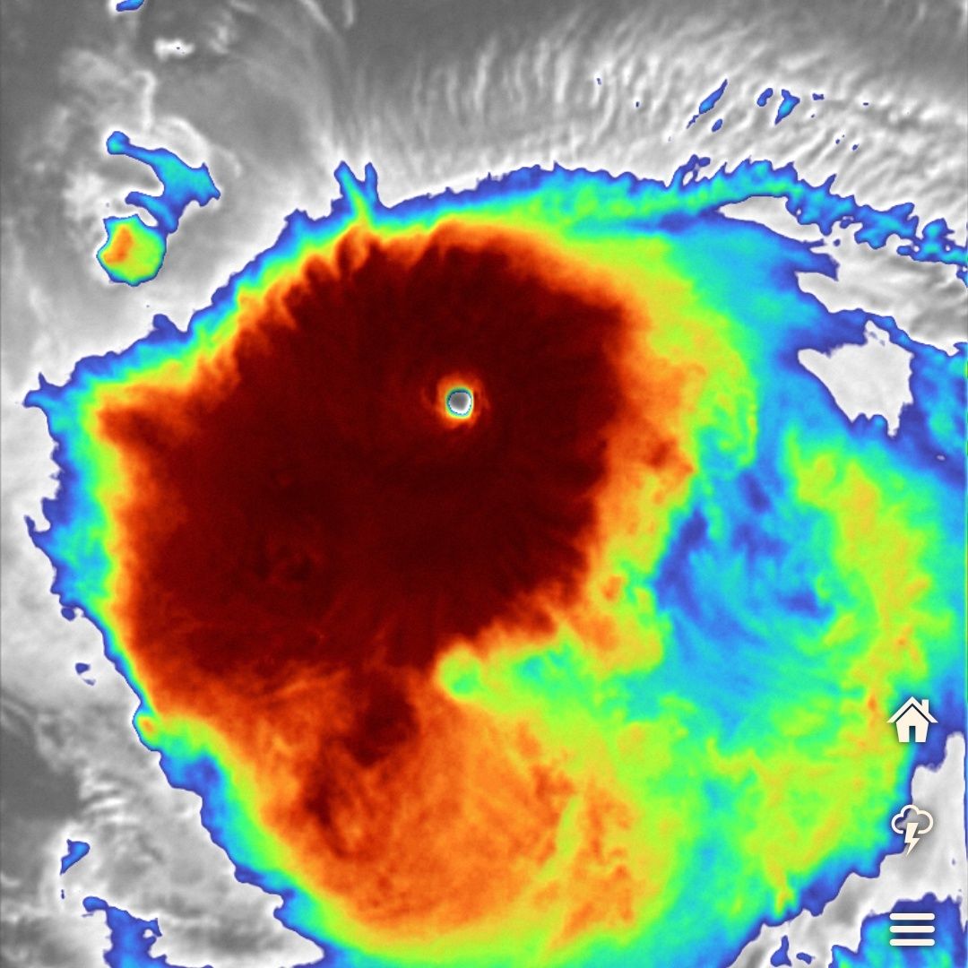
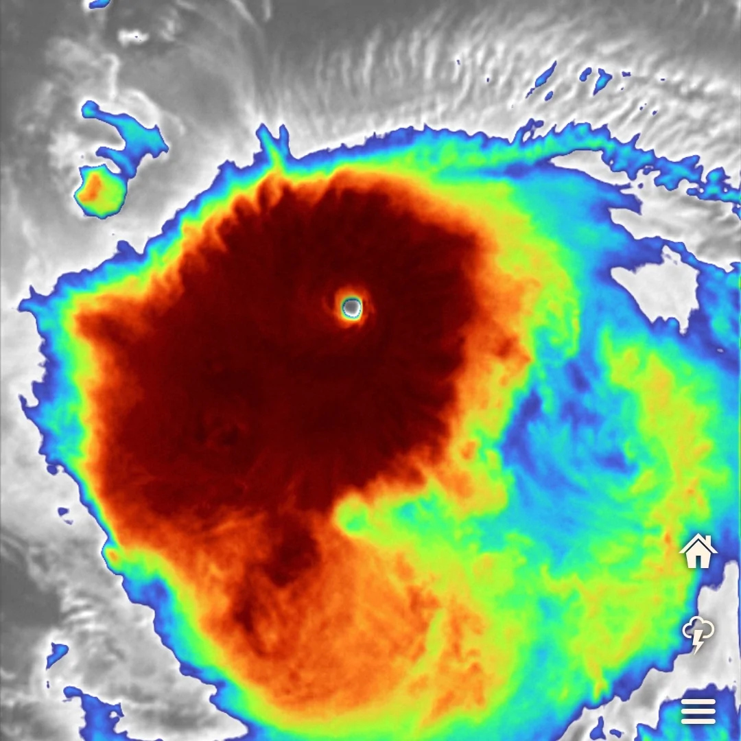
- Chanthu כבר 230 קמש בדרך ל-250 קמש חנוך א
- 33
- ☼
- o
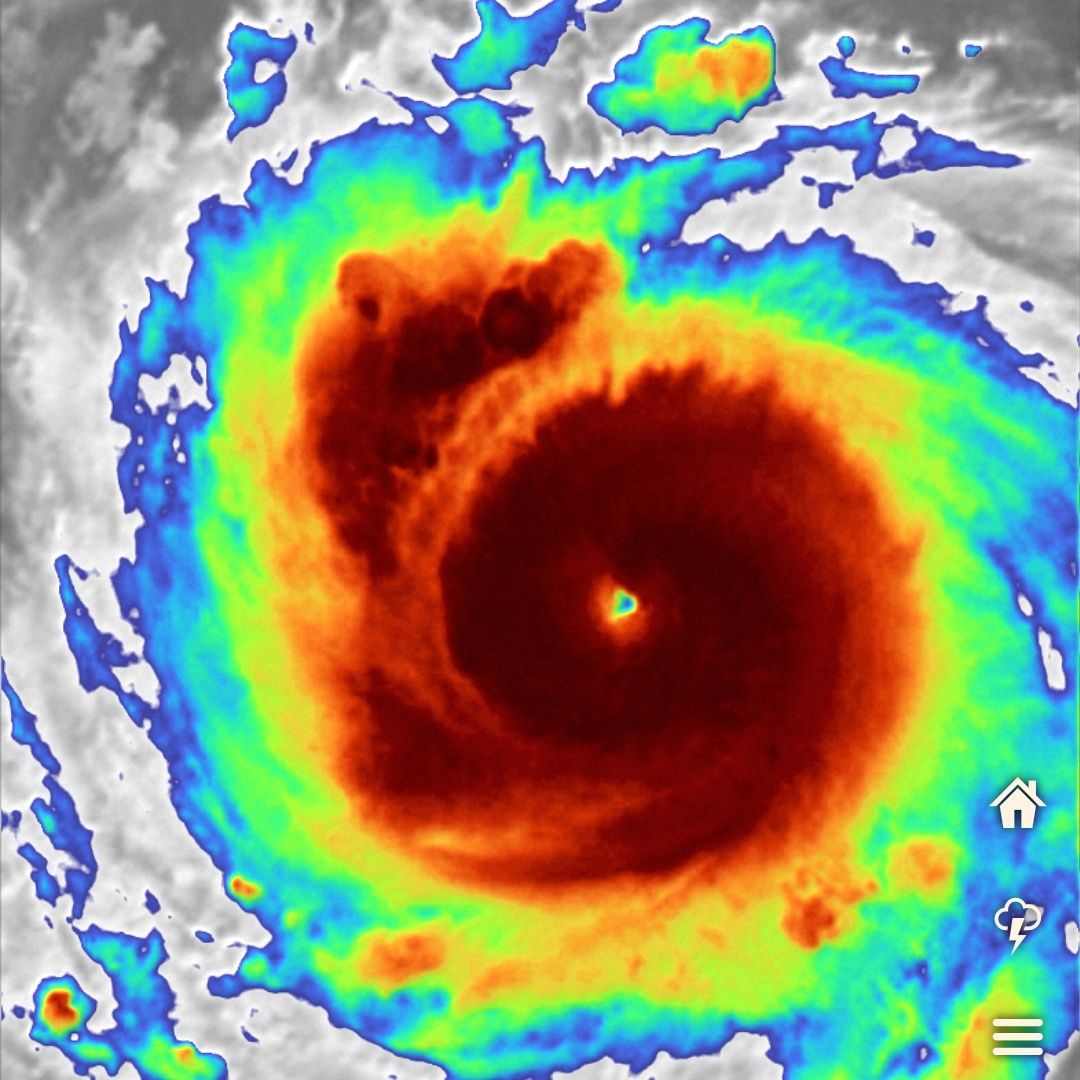
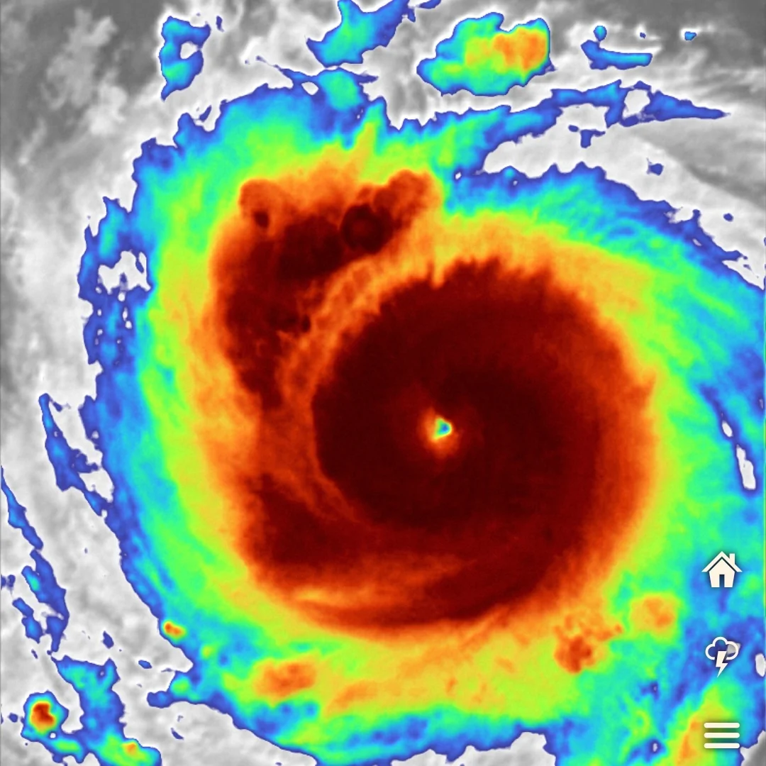
- עין יפה חנוך א
- 35
- ☼
- o
- משהו לא ברור ליד הודו חנוך א
- 49
- ☼
- ●
- מי שבאמת חיסל אותם היה Meranti ב-2016 חנוך א
- 39
- ☼
- o
- Chanthu כמו עין של פר עצבני חנוך א
- 27
- ☼
- o
- מצחיק באמת שהוא כזה עצום אך עם עין כזו קטנה תום
- 13
- מיקום: קריות
- 13
- ☼
- o
- אתה צוחק ממרחק בטוח חנוך א
- 10
- מיקום: רמת גן
- 10
- ☼
- ●
- יש סיכוי ששרידי Larry יפגעו בסיינט ג'ונס חנוך א
- 28
- ☼
- ●
- התחזית ל-Chanthu השתנתה קצת חנוך א
- 27
- ☼
- ●
- מפת האוניות העולמית חנוך א
- 26
- מיקום: רמת גן
- 26
Vesselfinder.com
רואים חור סביב chanthu
רואים חור סביב chanthu
- ☼
- o
- Chanthu מול ה"חור" בתנועת האוניות חנוך א
- 20
- ☼
- o
- מרשים שהן בכלל באזור שלה תום
- 10
- מיקום: קריות
- 10
- ☼
- o
- הרבה אוניות בים חנוך א
- 27
- ☼
- o
- Larry ו-Chanthu חנוך א
- 24
- ☼
- ●
- מוזר ומפתיע שיש אוניות שממש במרחב של Chanthu תום
- 14
- ☼
- ●
- כנראה שמשהו לא עודכן חנוך א
- 13
- מיקום: רמת גן
- 13
או מיקום האוניות או מיקום הטייפון
הוספת דיווח
מקרא סימנים
הוספת תגובה- ☼ הודעה חדשה
- ● הודעה עם תוכן
- o הודעה ללא תוכן
משקיען
מדווח מאתר סקי
מדווח מלב ים













































