גם Sumnanga הסמוכה לא תהיה רגועה
- ☼
- o
- גם Sumnanga הסמוכה לא תהיה רגועה חנוך א
- 370
- ☼
- o
- כנ"ל Itbayat חנוך א
- 116
- ☼
- ●
- רק לפני שנתיים האיים האלו נמחקו ע"י טייפון חנוך א
- 137
- ☼
- ●
- לארי מתקרב לברמודה חנוך א
- 60
- ☼
- o
- Chanthu תחזית גשם חנוך א
- 125
- ☼
- o
- מכובד ביותר תום
- 26
- מיקום: קריות
- 26
- ☼
- o
- ווינדי (גפס??) צופה מסלול מזרחי ל-chanthu חנוך א
- 90
- ☼
- o
- זה איסי. גפס יותר מטביע את האזור תום
- 47
- מיקום: קריות
- 47
- ☼
- o
- ובינתיים לא שקט בארה"ב חנוך א
- 79
- ☼
- o
- Chanthu - מאורגן, Larry - מבולגן חנוך א
- 64
- ☼
- o
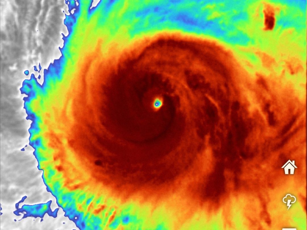
- Chanthu - סופר טייפון בעוצמה 5 חנוך א
- 69
- ☼
- o
- אתר נוסף שנותן ל-Chanthu מהירות רוח של 260 קמש חנוך א
- 57
- ☼
- ●
- אתר שלישי שנותן מהירות נמוכה בהרבה חנוך א
- 74
- ☼
- o
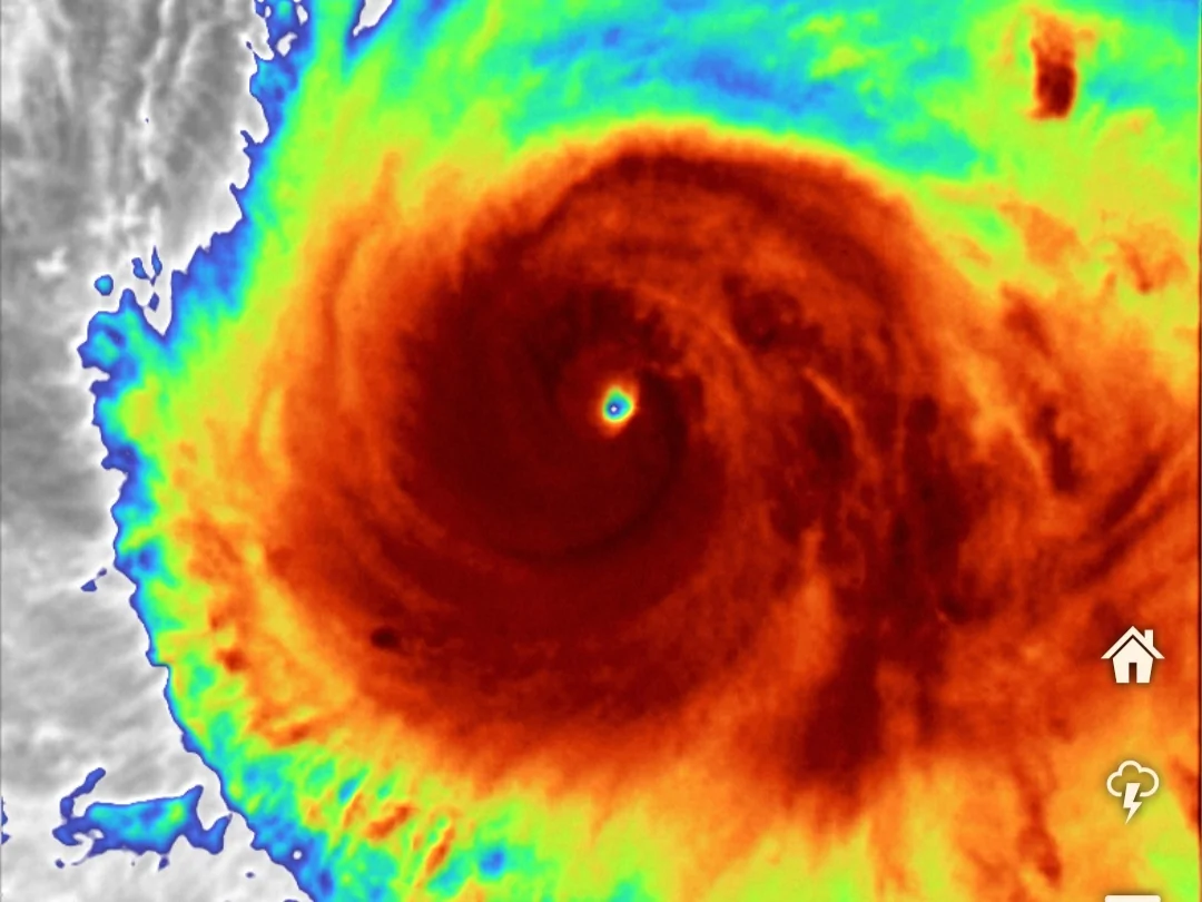
- העין מעורפלת - סימן להחלשות חנוך א
- 71
- ☼
- o
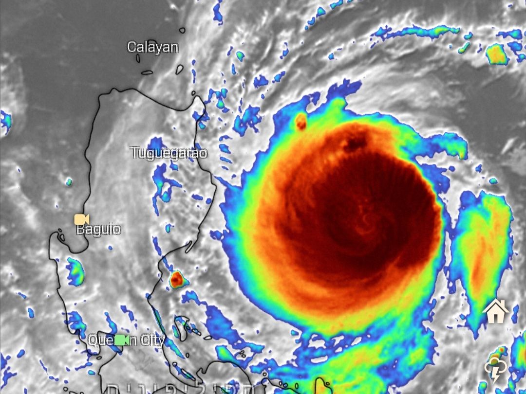
- Chanthu - כנראה מסלול מזרחי חנוך א
- 40
- ☼
- o
- יגלח את טייוואן תום
- 11
- מיקום: קריות
- 11
- ☼
- o
- Lanyu אי קטן מדרום מזרח לטאיוואן חנוך א
- 15
- ☼
- o
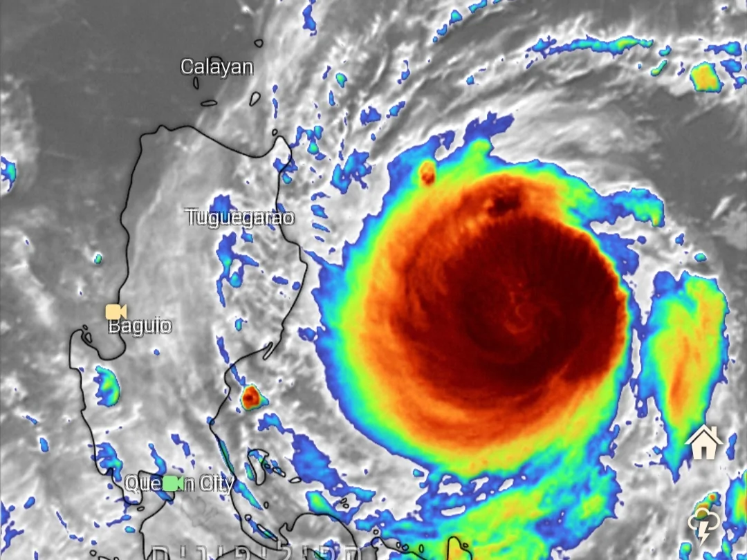
- העין נעלמה חנוך א
הוספת דיווח
מקרא סימנים
הוספת תגובה- ☼ הודעה חדשה
- ● הודעה עם תוכן
- o הודעה ללא תוכן
משקיען
מדווח מאתר סקי
מדווח מלב ים
ברוכים הבאים לפורום מזג האוויר המוביל בישראל. נא למלא פרטים מדוייקים ככל הניתן, שימוש לא הולם במערכת יוביל לחסימת המשתמש. תהנו:)
יש לכם שאלה הקשורה למזג האוויר? יורד ברד כבד בירושלים ואתם רוצים לחלוק את החוויה עם אחרים?
זה המקום לעשות זאת. המערכת הראשונה מסוגה לדיווחי מזג אוויר חברתיים!





























