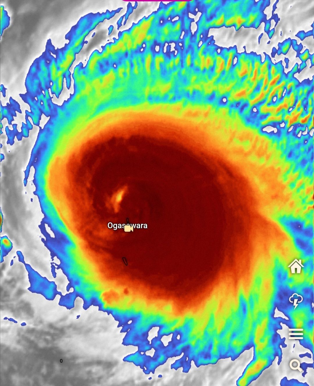
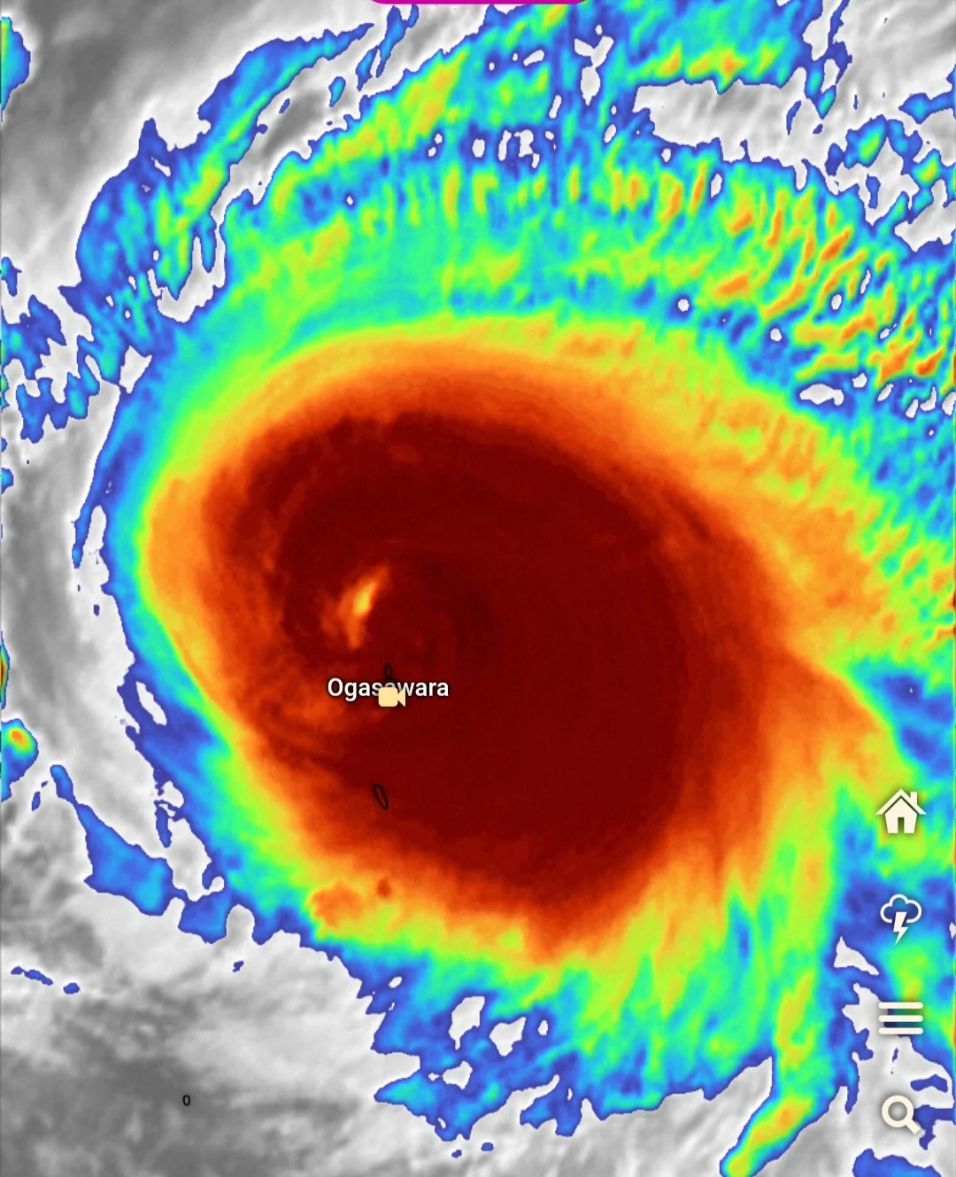
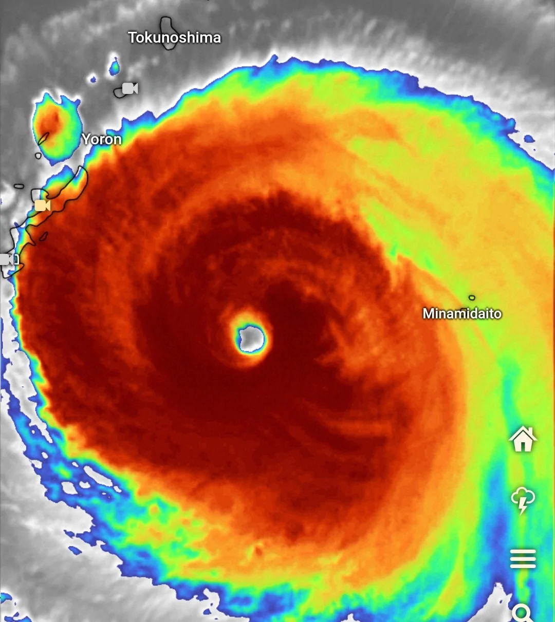
המשבים בטייפון הגיעו ל-300 קמש
- ☼
- ●
- סופות טרופיות חנוך א
- 574
- מיקום: רמת גן
- 574
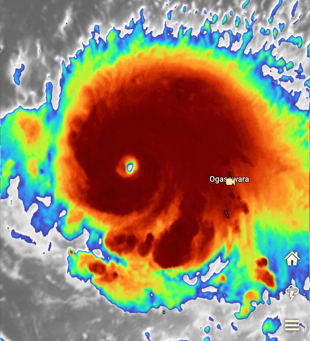
הטייפון המתהווה יפספס כנראה את Chichijima
- ☼
- ●
- Chichijima קרובה לעין הסערה חנוך א
- 171
- מיקום: רמת גן
- 171
מהירות הרוח 80 קמש
- ☼
- o
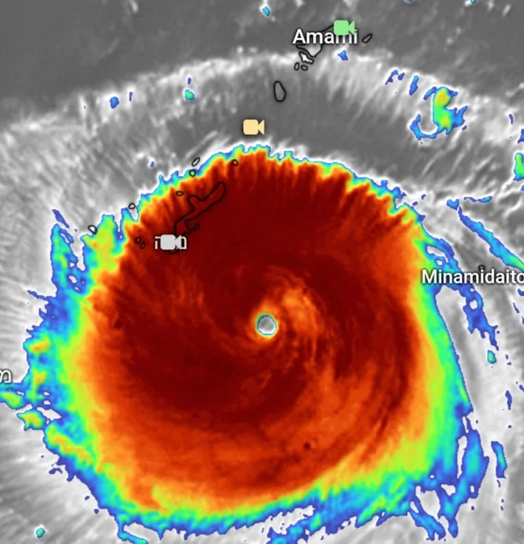
- מהירות הרוח ירדה ל-40 קמש, גשם - 55 ממ חנוך א
- 68
- מיקום: רמת גן
- 68
- ☼
- o
- Hinnamnor עם עין חדה, Chichijima הרחק מאחור חנוך א
- 108
- מיקום: רמת גן
- 108
- ☼
- ●
- Hinnamnor עם 175 קמש בדרכו ל-250 קמש חנוך א
- 117
- מיקום: רמת גן
- 117
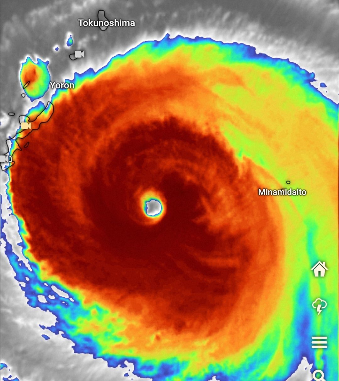
כרגע לא צפוי שיפגע באוקינווה
- ☼
- o
- האוניות מתרחקות חנוך א
- 140
- מיקום: רמת גן
- 140
- ☼
- o
- מצב הגלים חנוך א
- 119
- מיקום: רמת גן
- 119
- ☼
- o
- תוך 30 שעות המהירות גדלה פי 3 חנוך א
- 140
- מיקום: רמת גן
- 140
- ☼
- o
- 230 קמש בדרך ל-260 קמש חנוך א
- 143
- מיקום: רמת גן
- 143
- ☼
- o
- זהירות הגורילה חנוך א
- 181
- מיקום: רמת גן
- 181
- ☼
- ●
- אם התחזית המוזרה תתממש חנוך א
- 188
- מיקום: רמת גן
- 188
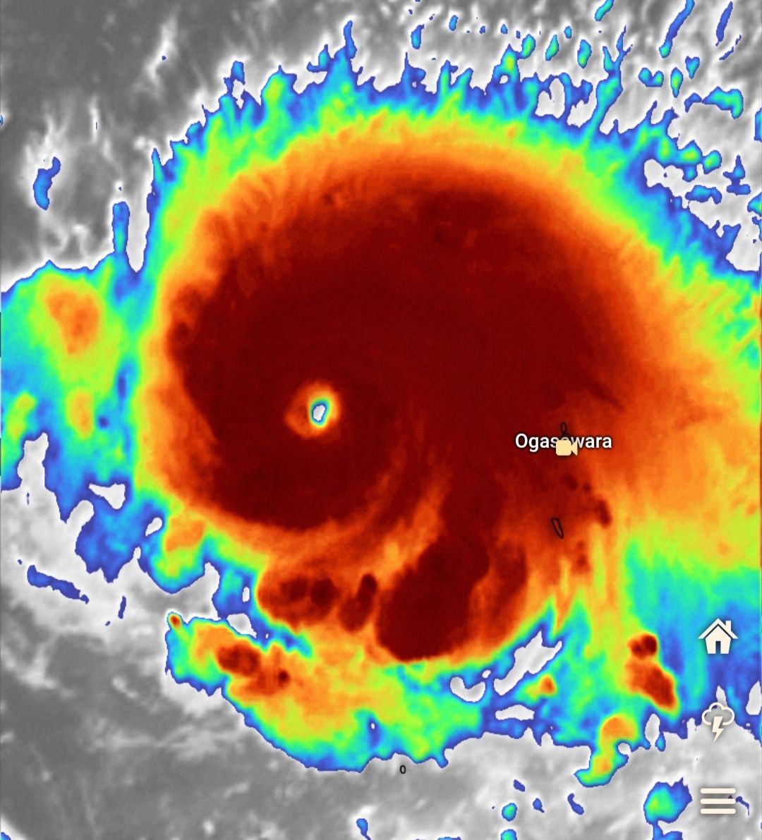
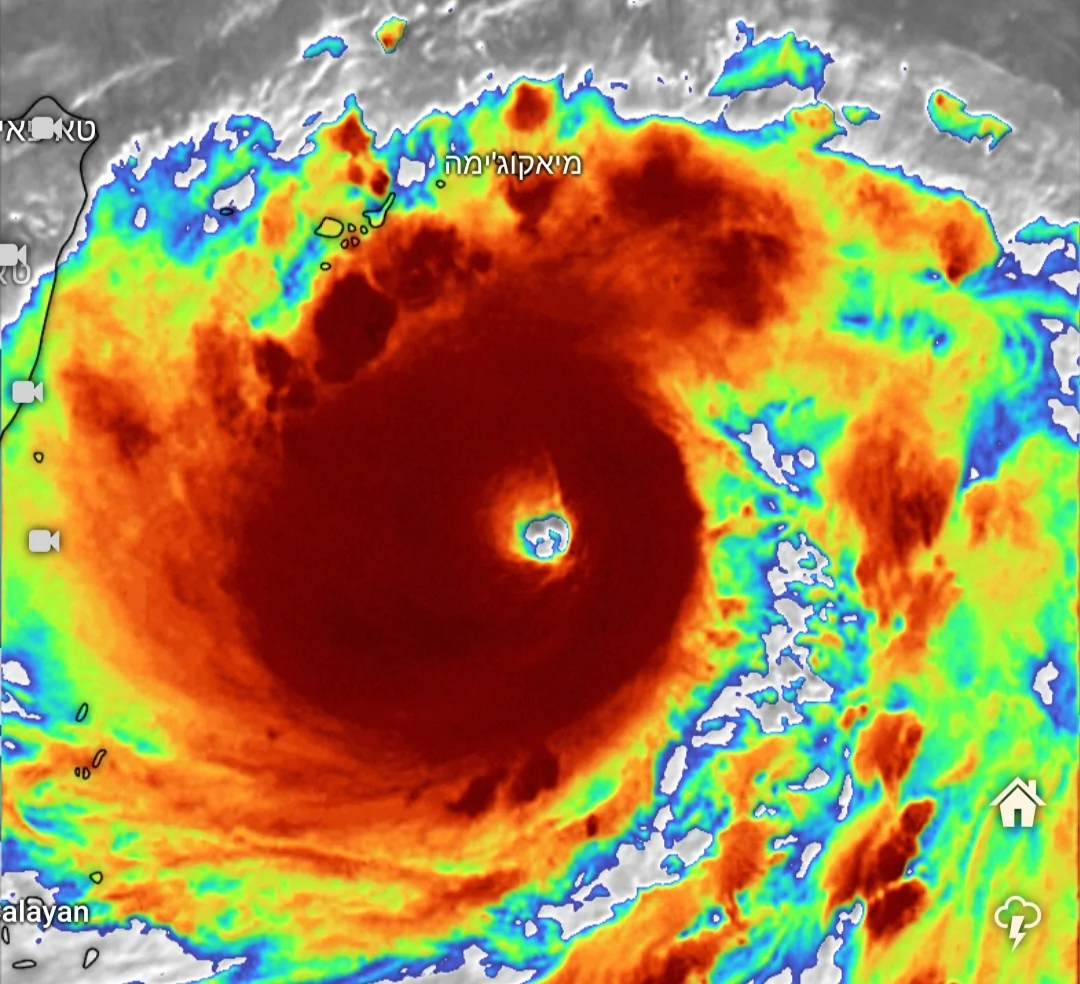
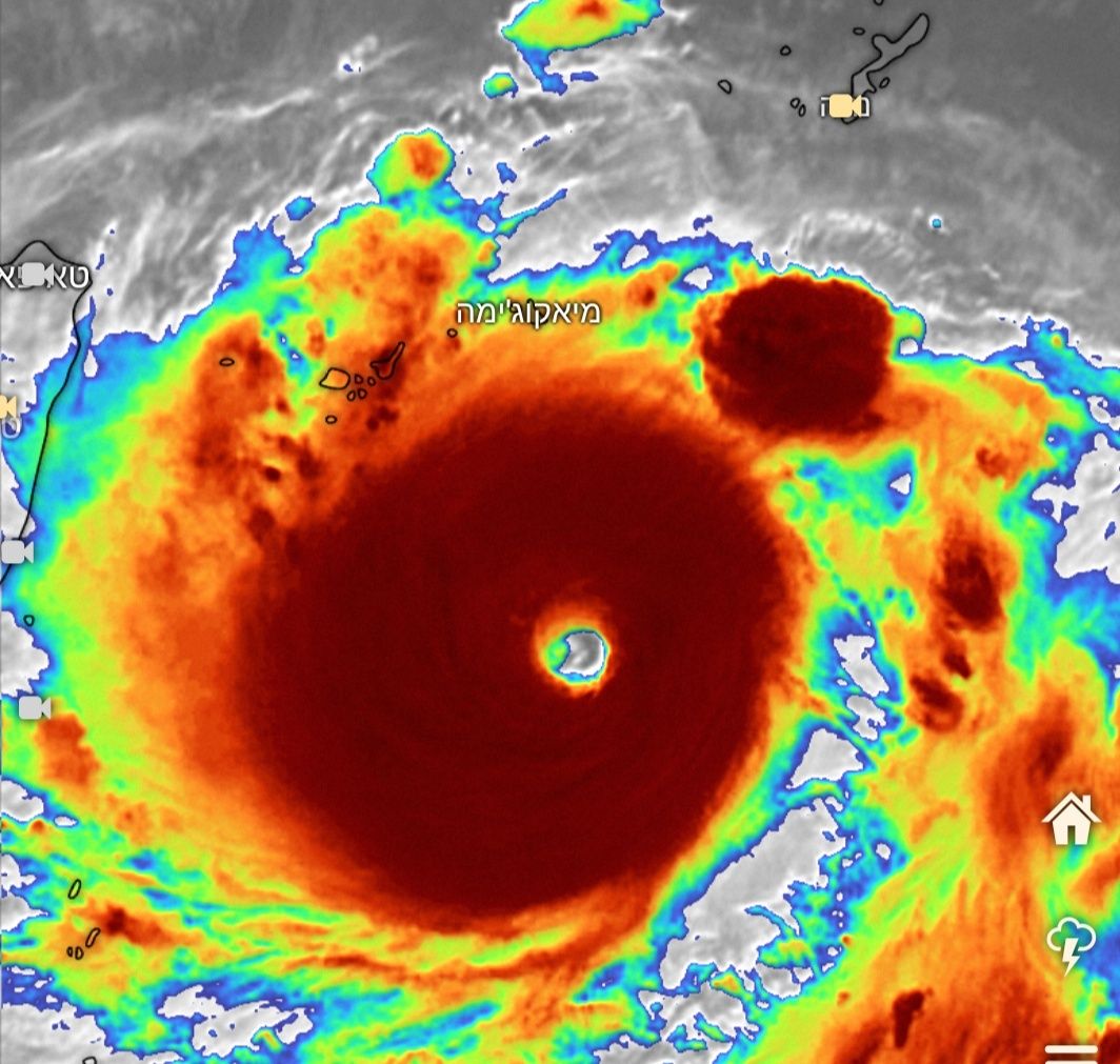
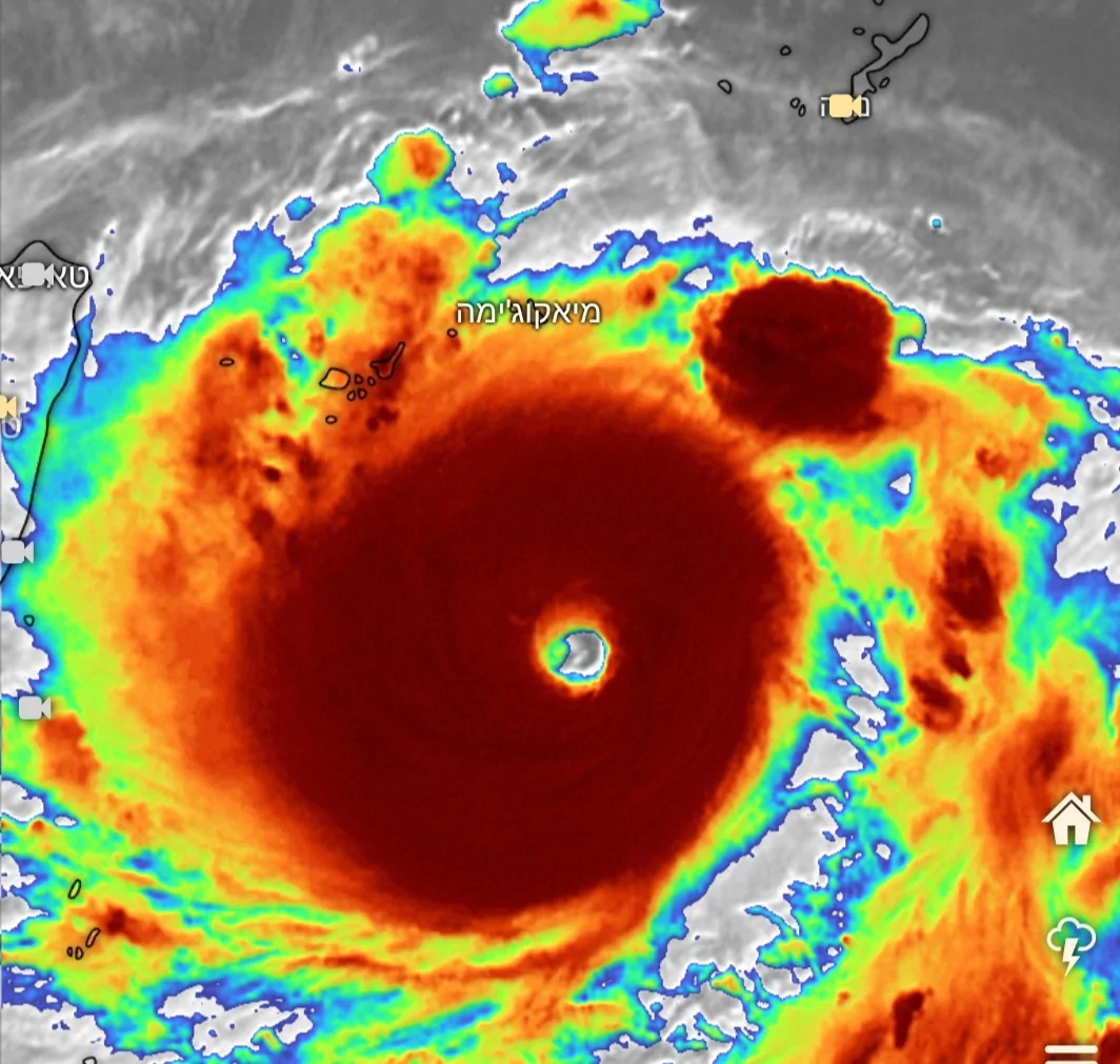
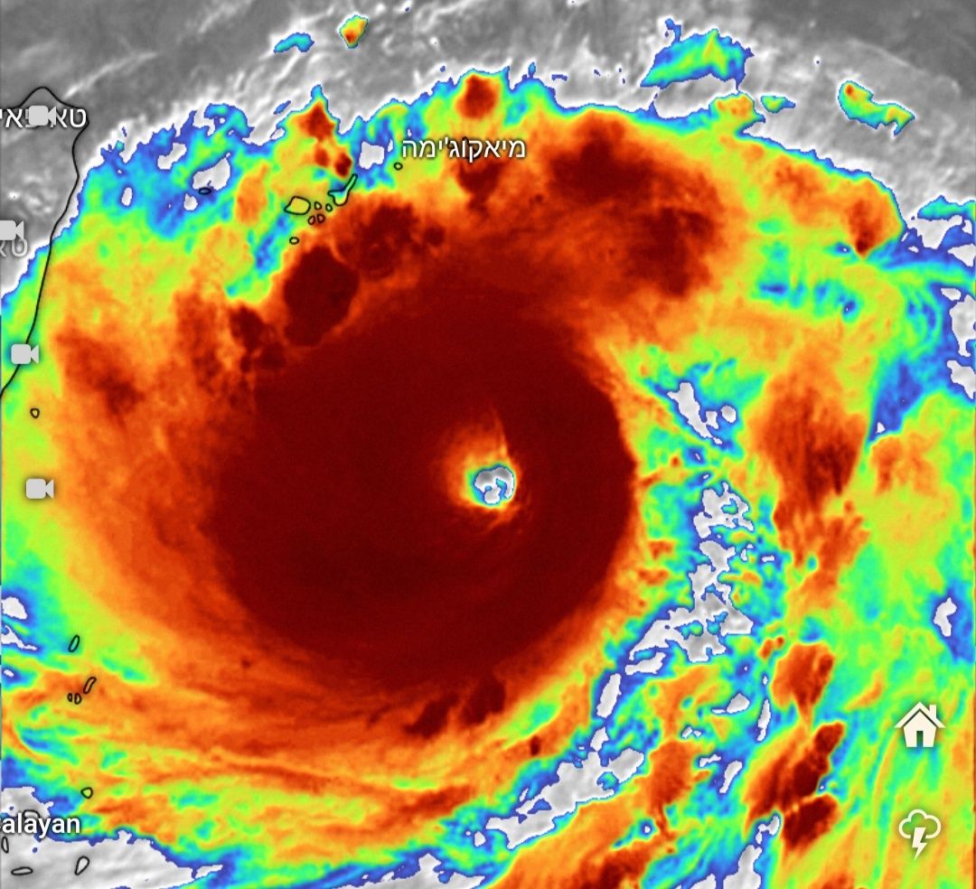
הטייפון המוחלש יעבור ליד Miyakojima
- ☼
- o
- בול חנוך א
- 94
- מיקום: רמת גן
- 94
- ☼
- o
- Perfecto חנוך א
- 84
- מיקום: רמת גן
- 84
- ☼
- o
- אבל לא כך חושבים תושבי שני האיים הקטנים מצד שמאל חנוך א
- 80
- מיקום: רמת גן
- 80
- ☼
- o
- כרגע הרוח שם רק 30 קמש חנוך א
- 35
- מיקום: רמת גן
- 35
- ☼
- o
- זה לא טייפון, זאת שמש קטנה חנוך א
- 89
- מיקום: רמת גן
- 89
- ☼
- o
- 240 קמש חנוך א
- 67
- מיקום: רמת גן
- 67
- ☼
- o
- קוטר הטייפון חנוך א
- 79
- מיקום: רמת גן
- 79
- ☼
- o
- כמו המרחק חיפה - אילת חנוך א
- 106
- מיקום: רמת גן
- 106
- ☼
- o
- מספיק לאחלה מערכת! המוביל הבטוח
- 42
- מיקום: נתיבות
- 42
- ☼
- o
- אפרופו שמש קטנה, שמת לב לאסטרונאוטית שצילמה שמש קטנה בנגב? מימי
- 39
- מיקום: ירושלים
- 39
- ☼
- ●
- האיים האלה ממש מזכירים לי את מפת העולם אופיר פרנקו
- 22
- מיקום: כרמיאל
- 22
רק בלי אנטרקטיקה, הקוטב הצפוני, אמריקה והמזרח התיכון.
אפילו יש את הקצוות של ספרד ומרוקו
אפילו יש את הקצוות של ספרד ומרוקו
- ☼
- o
- העין מתקרבת אבל הרוח באיים רק 40 קמש חנוך א
- 79
- מיקום: רמת גן
- 79
- ☼
- o
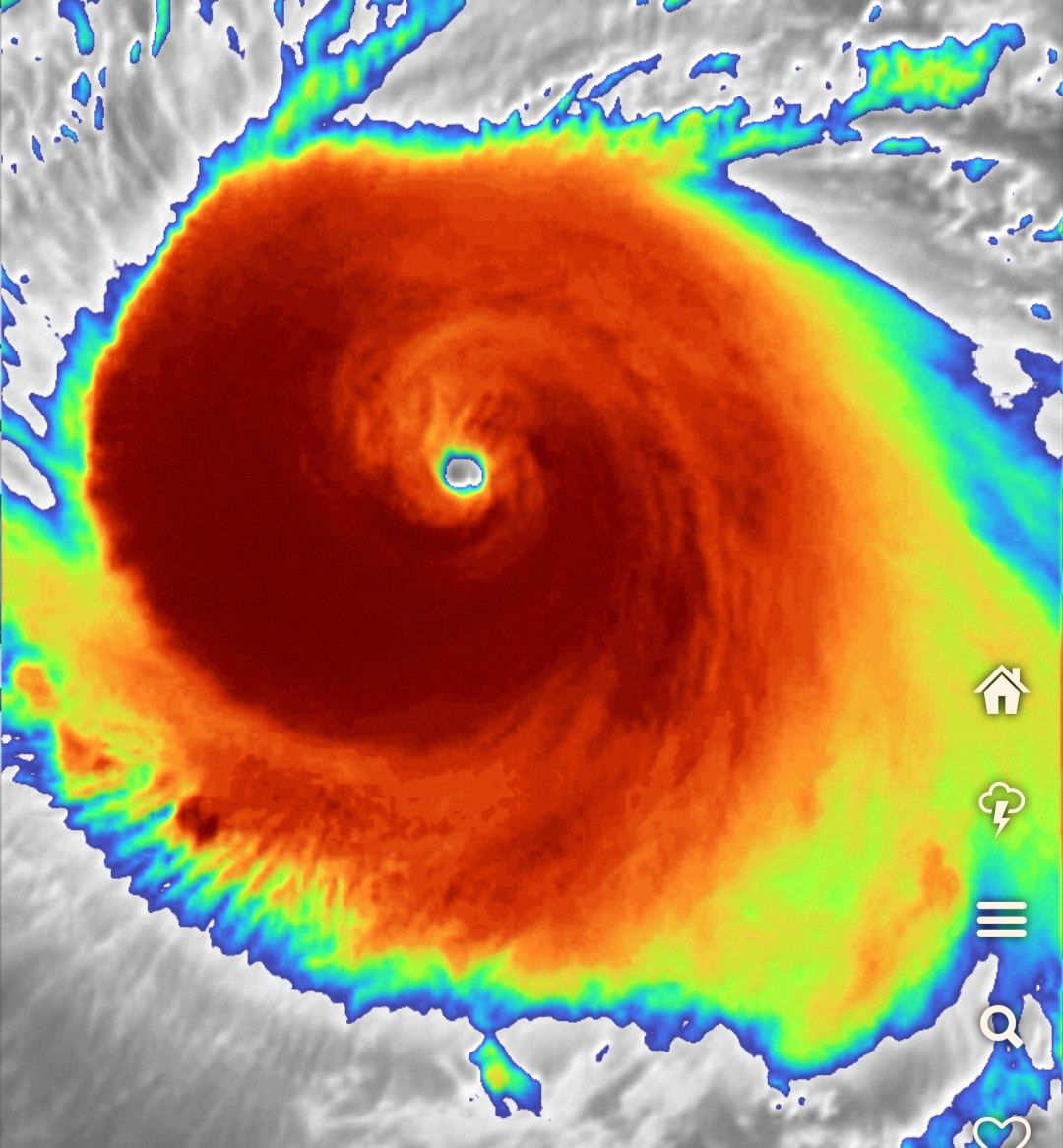
- 260 קמש, 920 מ"ב חנוך א
- 47
- מיקום: רמת גן
- 47
- ☼
- o
- מהירות הרוח באיים ירדה ל-84 קמש, גשם - 104 ממ חנוך א
- 20
- מיקום: רמת גן
- 20
- ☼
- o
- האוניות שומרות מרחק חנוך א
- 51
- מיקום: רמת גן
- 51
- ☼
- o
- המשבים בטייפון הגיעו ל-300 קמש חנוך א
- 40
- ☼
- o
- הרוח באיים ירדה ל-53 קמש חנוך א
- 32
- מיקום: רמת גן
- 32
- ☼
- o
- האי הזעיר Minna ו-2 תושביו נמצא במסלול הטייפון חנוך א
- 41
- מיקום: רמת גן
- 41
- ☼
- o
- ב-1961 בעקבות טייפונים ובצורות הועברו רוב תושבי האי למיקום אחר חנוך א
- 48
- מיקום: רמת גן
- 48
- ☼
- o
- Naha בירת אוקינווה - 54 קמש חנוך א
- 38
- מיקום: רמת גן
- 38
- ☼
- o
- חביב חנוך א
- 45
- מיקום: רמת גן
- 45
- ☼
- ●
- מצב נדיר חנוך א
- 59
- מיקום: רמת גן
- 59
מסלולי שתי סופות טרופיות מצטלבות פעמיים תוך יומיים
- ☼
- o
- האוניות תופסות מרחק בטוח חנוך א
- 51
- מיקום: רמת גן
- 51
- ☼
- o
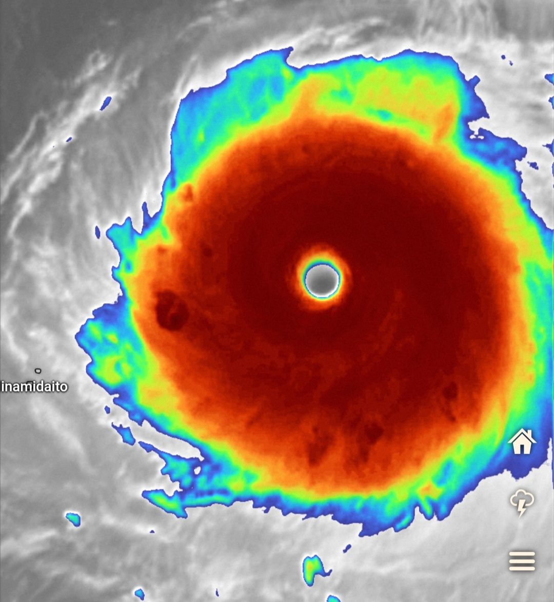
- תמונת לווין חנוך א
- 33
- מיקום: רמת גן
- 33
- ☼
- o
- מפת לחצים חנוך א
- 23
- מיקום: רמת גן
- 23
- ☼
- o
- הלחץ האמיתי הוא בסביבות 935 מ"ב חנוך א
- 30
- מיקום: רמת גן
- 30
- ☼
- ●
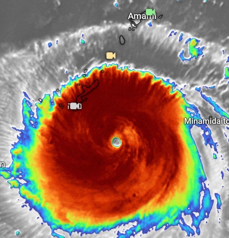
- הפגיעה ב-Ishigaki די בטוחה חנוך א
- 38
- מיקום: רמת גן
- 38
תחזית לאי הזה לשלושת הימים הקרובים
- ☼
- o
- התחזית ל-Ishigaki הופכת דרמטית חנוך א
- 36
- מיקום: רמת גן
- 36
- ☼
- o
- המסלול החזוי חנוך א
- 39
- מיקום: רמת גן
- 39
- ☼
- ●
- מהירות הרוח חזרה ל-260 קמש חנוך א
- 27
- מיקום: רמת גן
- 27
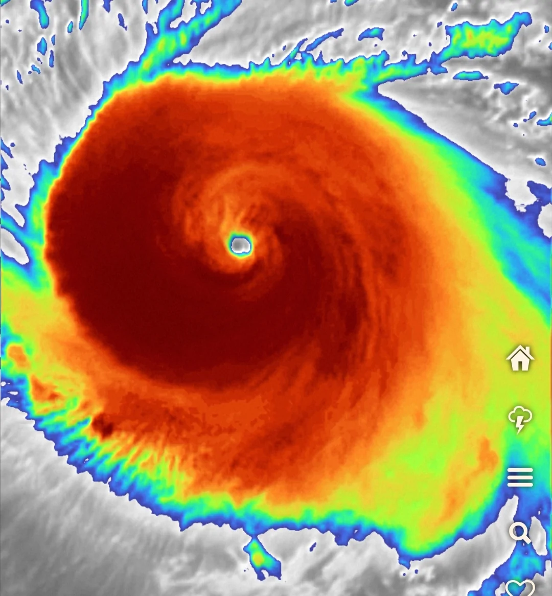
סופר טייפון
- ☼
- ●
- העין קורסת חנוך א
- 18
- מיקום: רמת גן
- 18
לפני 12 שעות
לפני 6 שעות
עכשיו
לפני 6 שעות
עכשיו
- ☼
- o
- האוניות לא לוקחות צ'אנס חנוך א
- 17
- מיקום: רמת גן
- 17
- ☼
- o
- הערכת לווין חנוך א
- 16
- מיקום: רמת גן
- 16
- ☼
- o
- לא זוכר סופה טרופית שעושה שינוי כיוון כל כך חד חנוך א
- 21
- מיקום: רמת גן
- 21
הוספת דיווח
מקרא סימנים
הוספת תגובה- ☼ הודעה חדשה
- ● הודעה עם תוכן
- o הודעה ללא תוכן
משקיען
מדווח מאתר סקי
מדווח מלב ים

