הוריקן "איאן" (Ian) - חדשות ועדכונים מהסופה
- ☼
- ●
- הוריקן "איאן" (Ian) - חדשות ועדכונים מהסופה Weather2day
- 1,215
- ☼
- o
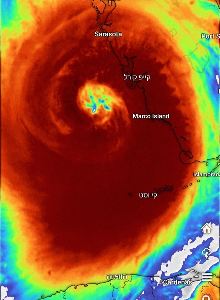
- תמונת הלווין של הוריקן "איאן" Weather2day
- 589
- 589
- ☼
- ●
- כך זה נראה ממבט של וונדי (windy) רגע לפני הכניסה המסיבית דובי
- 495
- מיקום: מערב ירושלים
- 495
צפי רוחות (משבים) לפי התראות השירות המטאורולגי האמריקאי עד 200-170 קמ"ש ואולי יותר מכך. גשם כבד וסופות רעמים עזות ביותר.
ההודעה נערכה
- ☼
- o
- Storm surge חנוך א
- 206
- 206
- ☼
- ●
- איאן קרובה לדרגה 5 נתוש
- 214
- מיקום: מעלות
- 214
ארה"ב: סופת ההוריקן "איאן" מתחזקת וקרובה מאוד לדרגה 5 - החזקה ביותר. כעת הרוחות במהירות 250 קמ"ש .
- ☼
- o
- Ian מתקרב לעוצמה 5. So help them God חנוך א
- 369
- 369
- ☼
- ●
- אפשרות לעליית פני הים של 5 מטר חנוך א
- 428
- 428
Storm surge
- ☼
- ●
- קישור למפה לייב של הסופה דוד&ר
- 196
- מיקום: קניון אילון
- 196
- ☼
- o
- העין של הסופה דומה לתרנגול? חנוך א
- 311
- 311
- ☼
- o
- פורסם נתון רשמי כעת: הוריקן "איאן" הכה ביבשה בקטגוריה 4 Weather2day
- 376
- 376
- ☼
- ●
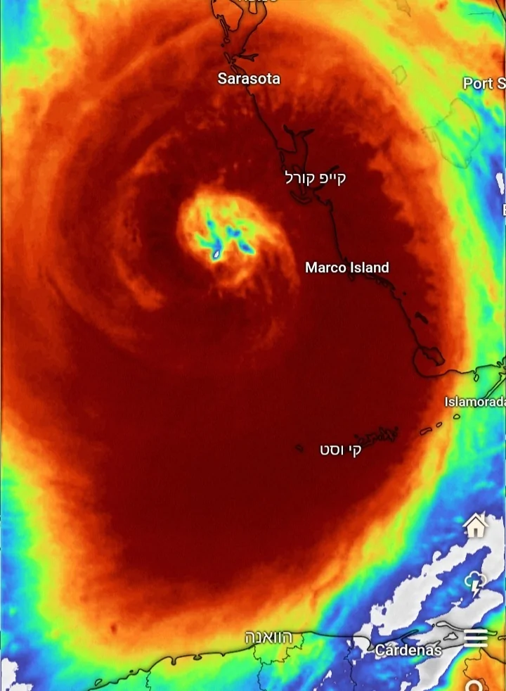
- עוד תמונה שנפלטה מתוך ההפכה.. דובי
- 420
- מיקום: מערב ירושלים
- 420
(רשתות חברתיות)
ההודעה נערכה
- ☼
- ●
- יש בבקשה עדכונים מההוריקן? נתוש
- 163
- מיקום: מעלות
- 163
תמונות, סירטונים, חדשות
חנוך היכן אתה???
חנוך היכן אתה???
- ☼
- o
- העין חנוך א
- 414
- 414
- ☼
- ●
- הדיווח היחיד המשמעותי נכון לעכשיו חנוך א
- 345
- 345
מיליון בתים נותקו מזרם החשמל. עדיין לא מצאתי דיווח לגבי גובה ה-Storm surge בפועל, בניגוד ל-5 מטר הצפויים
- ☼
- o
- תודה רבה נתוש
- 126
- מיקום: מעלות
- 126
- ☼
- ●
- אחרי דיבורים על storm surge של 5 מטר חנוך א
- 250
- 250
הסתפקנו ב-2 מטר
גם רציני אבל לא מתקרב לקתרינה
גם רציני אבל לא מתקרב לקתרינה
- ☼
- o
- האקשן חוזר למזרח חנוך א
- 375
- 375
- ☼
- ●
- חשש למאות הרוגים מ "איאן" נתוש
- 103
- מיקום: מעלות
- 103
הוריקן איאן: עלה ל-9 מניין המתים הרשמי כתוצאה מההוריקן בארה"ב. לפי הרשויות המספר גבוה בהרבה והחשש הוא ממאות רבות של מתים באחד מההוריקנים הקטלניים במאה האחרונה.
- ☼
- o
- גם אזור אורלנדו עבר את 300 ממ חנוך א
- 221
- 221
- ☼
- o
- כמויות באינצ'ים חנוך א
- 181
- 181
- ☼
- ●
- כמויות באינצ'ים באזור אורלנדו אתמול חנוך א
- 180
- 180
16 אינצ'ים = 400 ממ
- ☼
- ●
- המון! לפחות בשבוע הקרוב לא צפוי שם גשם, אבל הנזקים והקורבנות המוביל הבטוח
- 137
- ☼
- o
- עוד תמונת מצב דובי
- 226
- מיקום: מערב ירושלים
- 226
- ☼
- o
- פארק המים הגדול בעולם (זמני) דובי
- 277
- מיקום: מערב ירושלים
- 277
- ☼
- o
- וואו, כמה שעות של סערה והכל הלך.... המוביל הבטוח
- 133
- מיקום: נתיבות
- 133
- ☼
- o
- המכשפה עם האף המגעיל חנוך א
- 226
- 226
- ☼
- o
- איאן נוחת חנוך א
- 120
- 120
- ☼
- o
- הנחיתה היא בגבול בין קרולינה הדרומית והצפונית חנוך א
- 116
- 116
- ☼
- o
- מה יקרה עם כל המים יחלחלו ? לוכד
- 56
- 56
- ☼
- o
- עצם המחשבה גורמת לי לחלחלה חנוך א
- 42
- 42
- ☼
- o
- האזור קיבל עד 150 ממ עד כה חנוך א
- 99
- 99
- ☼
- o
- כמויות בשבוע האחרון באינצ'ים חנוך א
- 76
- 76
- ☼
- ●
- הנזק לחברות הביטוח - 65 מיליארד דולר חנוך א
- 54
- 54
ולזה צריך להוסיף סכום לא ידוע לרכוש בלתי מבוטח, אובדן הכנסות וכו'. מה הסה"כ? מי יודע . אולי 100 מיליארד, אולי יותר
- ☼
- ●
- ההרס בפורט מאיירס חנוך א
- 97
- 97
כל הבתים שהיו בצד שמאל של התמונה נסחפו לצד ימין של התמונה
- ☼
- o
- מזלטוב למזטלן. הולכים לחטוף את Orlene חנוך א
- 88
- 88
- ☼
- ●
- הנזק שגרם Ian בפלורידה חנוך א
- 58
- 58
פלוס הנזק שגרם בפורטו ריקו השייכת לארה"ב עלולים לעבור את הנזק של קתרינה
- ☼
- o
- גובה הים בשתי נקודות באזור פגיעת Ian חנוך א
- 55
- 55
- ☼
- ●
- Ian - הים עלה מכסימום 7.5 רגל = קצת יותר משני מטר חנוך א
- 39
- 39
בהוריקן קתרינה הים עלה ב-20 רגל = 6 מטר וזה היה הגורם הראשי לנזק האדיר כי המים עלו מעל החומות שמקיפות ומגינות על ניו אורליאנס וכך פשוט הטביעו את רוב העיר
- ☼
- ●
- איאן שינה לגמרי את צבע המים סביב פלורידה כדרלעומר
- 61
- מיקום: ירושלים
- 61
שני צילומי לויין של פלורידה עם מפרץ מקסיקו לפני ואחרי ההוריקן.
משמאל: לפני שבוע וחצי
מימין: אתמול
משמאל: לפני שבוע וחצי
מימין: אתמול
- ☼
- o
- שאב המון אנרגיה מהמים וקירר אותם לזמן מה.. המוביל הבטוח
- 22
- מיקום: נתיבות
- 22
הוספת דיווח
מקרא סימנים
הוספת תגובה- ☼ הודעה חדשה
- ● הודעה עם תוכן
- o הודעה ללא תוכן
משקיען
מדווח מאתר סקי
מדווח מלב ים

