סופות טרופיות - טייפון Mawar עומד לכסח את גואם
- ☼
- ●
- סופות טרופיות - טייפון Mawar עומד לכסח את גואם חנוך א
- 407
- ☼
- o
- מפחיד גם ספינות חנוך א
- 242
- מיקום: רמת גן
- 242
- ☼
- o
- 7 מטר גלים חנוך א
- 203
- מיקום: רמת גן
- 203
- ☼
- o
- מחננה ל-Full Banana ב-4 ימים חנוך א
- 130
- מיקום: רמת גן
- 130
- ☼
- o
- מות העין חנוך א
- 136
- מיקום: רמת גן
- 136
- ☼
- o
- Guam לקראת נחיתה - הרוח 87 קמ"ש חנוך א
- 128
- מיקום: רמת גן
- 128
- ☼
- o
- משבים עד 120 קמ"ש חנוך א
- 93
- מיקום: רמת גן
- 93
- ☼
- ●
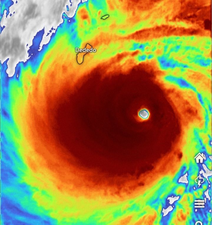
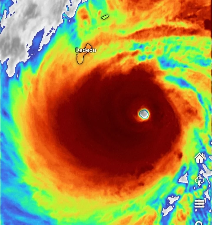
- רמז לעין ליד גואם חנוך א
- 160
- מיקום: רמת גן
- 160
רוח בגואם - 108 קמש
- ☼
- o
- התחנה המטאורולוגית קרסה ואינה משדרת חנוך א
- 96
- מיקום: רמת גן
- 96
- ☼
- o
- העין נוגעת בחוף הצפוני של גואם חנוך א
- 115
- מיקום: רמת גן
- 115
- ☼
- o
- נראה שהעדכון בגוגל מאחר בכמה שעות חנוך א
- 104
- מיקום: רמת גן
- 104
- ☼
- o
- גואם כרגע 114 קמש, כנראה בשדה התעופה חנוך א
- 70
- מיקום: רמת גן
- 70
- ☼
- o
- גואם - 158 קמש חנוך א
- 71
- מיקום: רמת גן
- 71
- ☼
- o
- העין מצפון מערב לגואם חנוך א
- 111
- מיקום: רמת גן
- 111
- ☼
- o
- רק 1000 צרכנים מתוך 52,000 עדיין מחוברים לרשת החשמל באי. חנוך א
- 83
- מיקום: רמת גן
- 83
- ☼
- o
- מתחיל לרדת 137 קמש חנוך א
- 67
- מיקום: רמת גן
- 67
- ☼
- o
- כבר 91 קמש חנוך א
- 127
- מיקום: רמת גן
- 127
- ☼
- o
- גרף המהירות בגואם חנוך א
- 109
- מיקום: רמת גן
- 109
- ☼
- o
- הרגיעה שאחרי חנוך א
- 120
- מיקום: רמת גן
- 120
הוספת דיווח
מקרא סימנים
הוספת תגובה- ☼ הודעה חדשה
- ● הודעה עם תוכן
- o הודעה ללא תוכן
משקיען
מדווח מאתר סקי
מדווח מלב ים



