הוריקן הילארי
- ☼
- ●
- הוריקן הילארי חנוך א
- 794
- ☼
- ●
- Bahia Totugas תחטוף קלות וכנראה גם סן דייגו חנוך א
- 217
- מיקום: רמת גן
- 217
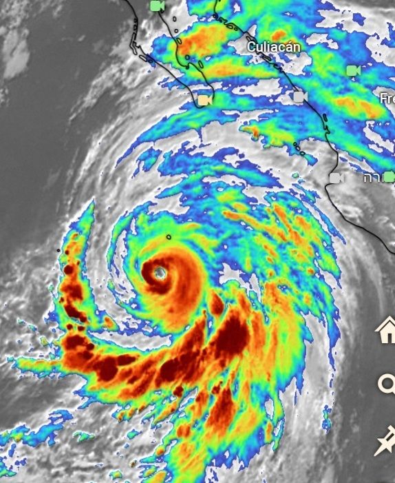
כרגע בעוצמה 4
- ☼
- o
- עצבני גם בדרום ים סוף חנוך א
- 261
- מיקום: רמת גן
- 261
- ☼
- o
- הצפי לטיחואנה/ סן דייגו חנוך א
- 194
- מיקום: רמת גן
- 194
- ☼
- o
- הצפי לסן דייגו חנוך א
- 183
- מיקום: רמת גן
- 183
- ☼
- ●
- אני כרגע בלוס אנגלס מחכה לסופה. מאוד חריג פה גשם בקיץ אוריין
- 195
- מיקום: פאלו אלטו קליפורניה
- 195
אז גשם חזק זה בכלל בלתי נתפס. יהיה מעניין.
- ☼
- o
- הקשר הקליפורני john
- 52
- 52
- ☼
- o
- 4 אזורים עם סיכוי להתפתחות סופה טרופית חנוך א
- 205
- מיקום: רמת גן
- 205
- ☼
- ●
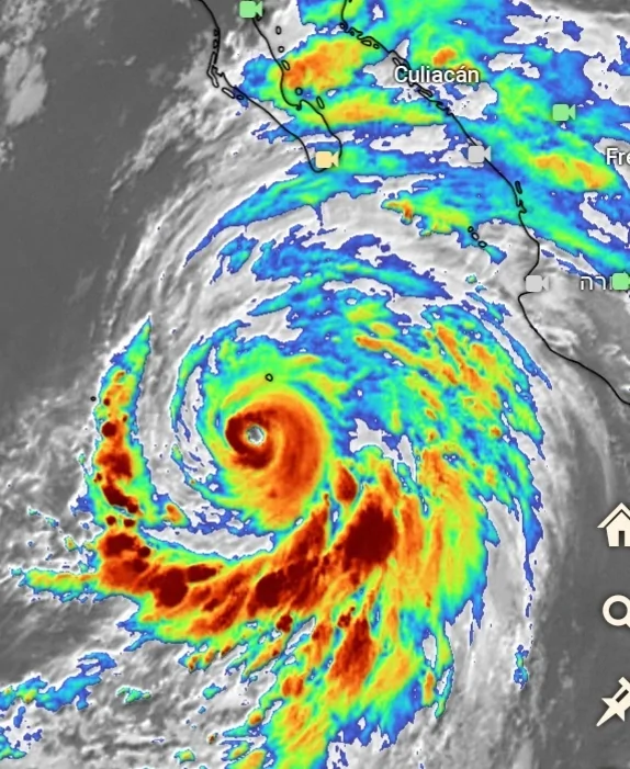
- Hilary מתחילה להיחלש ומתחילה להרטיב חנוך א
- 151
- מיקום: רמת גן
- 151
את השפיץ של Baja California
- ☼
- o
- שולי הילארי מרטיבים את רצועת המלונות Los Cabos חנוך א
- 153
- מיקום: רמת גן
- 153
- ☼
- ●
- האפקט של הילארי בשילוב המונסון הדרום מערבי חנוך א
- 114
- מיקום: רמת גן
- 114
הזיזו את אזור הפעילות לאזור הגבול של אריזונה/ קליפורניה/ מקסיקו
כתוצאה מכך מדבר Anza Borrego זוכה סוף סוף לגשם ראשון באוגוסט, כ-20 ממ, לא מעט עבור המדבר
כתוצאה מכך מדבר Anza Borrego זוכה סוף סוף לגשם ראשון באוגוסט, כ-20 ממ, לא מעט עבור המדבר
- ☼
- ●
- סופה ב-Al Bahah סעודיה. אתם אומרים: שמענו, ראינו חנוך א
- 151
- מיקום: רמת גן
- 151
הנה מה שקרה שם בסופה הקודמת
זה ברד, לא שלג
זה ברד, לא שלג
- ☼
- o
- התחזית הסעודית חנוך א
- 142
- מיקום: רמת גן
- 142
- ☼
- ●
- סיכוי להצפות ושטפונות בעקבות הוריקן הילרי אסף חיפה
- 185
- ☼
- o
- מעל 50 ממ מאז חצות, וזה אזור מדברי חנוך א
- 140
- מיקום: רמת גן
- 140
- ☼
- ●
- הוכרזה בקליפורניה התרעת סופה טרופית חנוך א
- 160
- מיקום: רמת גן
- 160
בפעם הראשונה בהסטוריה
- ☼
- ●
- הילארי הגיעה לחוג הסרטן מה שאומר חנוך א
- 218
- מיקום: רמת גן
- 218
שהיא מפסיקה להיות הוריקן והופכת לסופה אקסטרה טרופית, יעני מחוץ לאזור הטרופי
- ☼
- o
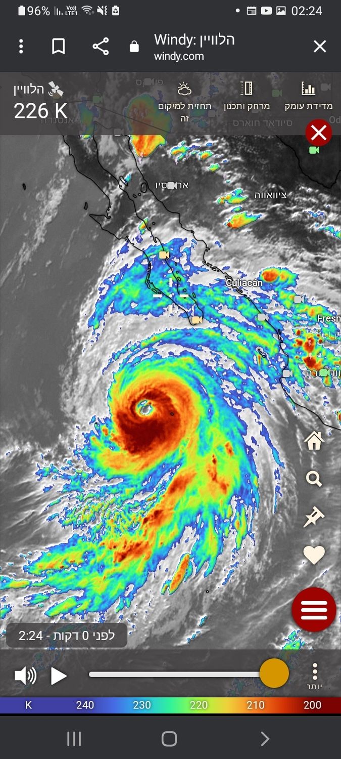
- הלווין מעריך כמויות גבוהות יותר חנוך א
- 122
- מיקום: רמת גן
- 122
- ☼
- ●
- חנוך שקע טרופי סוף סוף באטלנטי נתוש
- 98
- מיקום: מעלות
- 98
כיוון כלל פורטו ריקו והאיטי
תן פרטים עליו, שם, תחזית התחזקות וכו'... לפי מה שאני רואה כרגע לא צפויה לו בנתיים התחזקות להוריקן
תן פרטים עליו, שם, תחזית התחזקות וכו'... לפי מה שאני רואה כרגע לא צפויה לו בנתיים התחזקות להוריקן
- ☼
- ●
- 3 מערכות חלשות באטלנטי חנוך א
- 106
- מיקום: רמת גן
- 106
לא נראה כרגע שהן יעלו הילוך
- ☼
- ●
- כרגע באזור לוס אנגלס ומתחילים להרגיש את הילארי אוריין
- 119
- מיקום: לוס אנגלס קליפורניה
- 119
עננות גבוהה מכסה את כל השמיים ומורגשת עלייה בלחות. כרגע ללא גשם ורוח אבל מחר בבוקר אמור להתחיל הבלאגן.
- ☼
- ●
- הילארי נחלשת במהירות אבל.... חנוך א
- 151
- מיקום: רמת גן
- 151
אבל השילוב שלה עם המונסון הדרום מערבי מייצר מפלצת עננים כמעט עד קנדה.
כמויות במזרח Baja מגיעות ל-80 ממ בשלב זה
כמויות במזרח Baja מגיעות ל-80 ממ בשלב זה
- ☼
- ●
- הילארי ממשיכה להיחלש אבל מורידה גשם בכל ה-Baja חנוך א
- 125
- מיקום: רמת גן
- 125
מצב כזה שבכל ה-Baja יורד גשם באותו היום הוא חריג ביותר ולמיטב זכרוני לא קרה מאז תחילת הרישומים
- ☼
- o
- תזכרו ששם חצות זה בעוד כ-5 שעות חנוך א
- 81
- מיקום: רמת גן
- 81
- ☼
- o
- צפי לעד 250 ממ בהרי דרום קליפורניה תוך יום חנוך א
- 155
- מיקום: רמת גן
- 155
- ☼
- ●
- זה מתכון לאסון גיא
- 56
- 56
כמויות כאלו של גשם עלולות לגרום ל-mud slides, ביחוד באזורים שנפגעו משריפות, ויש כאלו לא מעט בדרום קליפורניה
- ☼
- ●
- זו לא עבדות מודרנית חנוך א
- 136
- מיקום: רמת גן
- 136
אלו תושבי המדבר בקליפורניה מתכוננים למבול
- ☼
- ●
- מערב Baja חנוך א
- 142
- מיקום: רמת גן
- 142
למהירות הרוח אני מאמין
לכמות הגשם קצת פחות
לכמות הגשם קצת פחות
- ☼
- o
- זו התחנה המפוקפקת חנוך א
- 119
- מיקום: רמת גן
- 119
- ☼
- o
- כמויות ביממה האחרונה בהערכת הלווין חנוך א
- 124
- מיקום: רמת גן
- 124
- ☼
- ●
- בצפון Baja יש רכס הרים ששיאו בפסגת השטן/השד חנוך א
- 110
- מיקום: רמת גן
- 110
וכך באמצע המדבר ממזרח וממערב יש רכס מיוער ששיאו מעל 3000 מטר עם מעיינות ובריכות שחבל על הזמן
סביר שרכס זה יחטוף כמות רצינית וייצר שטפונות בעיקר לכיוון מזרח המדברי
סביר שרכס זה יחטוף כמות רצינית וייצר שטפונות בעיקר לכיוון מזרח המדברי
- ☼
- o
- באחד הוואדיות בכיוון מזרח יש נווה מדבר עם מעיינות חמים חנוך א
- 116
- מיקום: רמת גן
- 116
- ☼
- ●
- סביר ש-Laguna Salada בדומה ל-Salar בבוליביה יתמלא במים חנוך א
- 99
- מיקום: רמת גן
- 99
וניתן יהיה לעשות צילומים מעניינים
- ☼
- ●
- בחוף הצפון מזרחי הצחיח שלBaja, 5 ירדו 45 ממ היום חנוך א
- 97
- מיקום: רמת גן
- 97
ומעל 70 ממ מאז אתמול
ההודעה נערכה
- ☼
- o
- מדובר באזור שזו הכמות השנתית בו או יותר חנוך א
- 113
- מיקום: רמת גן
- 113
- ☼
- ●
- פס הגשם - ראשו בהילארי, זנבו בקנדה חנוך א
- 94
- מיקום: רמת גן
- 94
לוס אנג'לס עכשיו שולטטת
- ☼
- ●
- לוס אנג'לס ממצפה הכוכבים הר וילסון שמצפון לה חנוך א
- 108
- מיקום: רמת גן
- 108
לפני 6 שעות
לפני שעתיים
לפני כמה דקות
לפני שעתיים
לפני כמה דקות
- ☼
- o
- עד 75 ממ מצפון ללוס אנג'לס. כביש הררי נסגר ליתר ביטחון חנוך א
- 129
- מיקום: רמת גן
- 129
- ☼
- o
- מאיזה אתר הנתונים האלו? אוריין
- 30
- מיקום: לוס אנגלס קליפורניה
- 30
- ☼
- ●
- Webcam באתר windy חנוך א
- 78
- מיקום: רמת גן
- 78
כמויות גשם cocorahs ו-wundermap
סגירת כבישים google maps ו - caltrans
סגירת כבישים google maps ו - caltrans
- ☼
- o
- תודה אוריין
- 20
- מיקום: לוס אנגלס קליפורניה
- 20
- ☼
- o
- במפת NOAA רואים רק שני אזורים מעל 75 ממ (אדום) חנוך א
- 69
- מיקום: רמת גן
- 69
- ☼
- o
- מספר אזורים בעיקר מדבריים עברו את 100 ממ חנוך א
- 85
- מיקום: רמת גן
- 85
- ☼
- o
- הכביש לעמק המוות נחסם כנראה בשל חשש מהצפות חנוך א
- 89
- מיקום: רמת גן
- 89
- ☼
- o
- סיכום המצב חנוך א
- 116
- מיקום: רמת גן
- 116
- ☼
- o
- שרידי העין באזור טיחואנה/ סן דייגו חנוך א
- 100
- מיקום: רמת גן
- 100
- ☼
- o
- עד 110 ממ באזור הגבול חנוך א
- 67
- מיקום: רמת גן
- 67
- ☼
- ●
- בנתיים באזור לוס אנגלס מאוד מאכזב. גשם קל עד בינוני מתמשך אוריין
- 74
- מיקום: לוס אנגלס קליפורניה
- 74
מסביבות 11 בבוקר. אין רוח, אין גשם חזק, ולא ראיתי ברק אחד. אבל בכל זאת, מרשים מאוד לאוגוסט.
- ☼
- ●
- רק דיברתי והייתה רעידת אדמה 6.0 30 מייל ממני. ההית רעד קצת. אוריין
- 70
- ☼
- o
- עדכון. עוצמת הרעידה רק 5.1 אוריין
- 57
- מיקום: לוס אנגלס קליפורניה
- 57
- ☼
- o
- אכן חנוך א
- 68
- מיקום: רמת גן
- 68
- ☼
- ●
- עד 150 ממ מצפון להרי סן גבריאל הסוגרים על LA מצפון חנוך א
- 124
- מיקום: רמת גן
- 124
זה אזור חצי מדברי, כך שזו כמות המתקרבת לכמות שנתית
- ☼
- o
- Lancaster בתמונה השלישית מקבלת 170 ממ לשנה חנוך א
- 52
- מיקום: רמת גן
- 52
- ☼
- ●
- היציאה הצפונית של LA לכיוון צפון חסומה ברובה חנוך א
- 88
- מיקום: רמת גן
- 88
מפת משקעים. לנקסטר באזור הכתום בפינה השמאלית הנמוכה
ההודעה נערכה
- ☼
- ●
- התראת הילארי יושבת במקום מעניין חנוך א
- 108
- מיקום: רמת גן
- 108
1) על חריץ ארוך. מה החריץ?
2) מדרום לשמורת טבע עמק האנטילופה? מה ייחודה של השמורה?
2) מדרום לשמורת טבע עמק האנטילופה? מה ייחודה של השמורה?
- ☼
- ●
- תשובות חנוך א
- 91
- מיקום: רמת גן
- 91
1) החריץ הוא חלק משבר סן אנדריאס שהוא השבר הראשי של קליפורניה ובו מתרחשות רעידות האדמה המפורסמות עד עוצמה של 8 ויותר. סן פרנסיסקו נהרסה לפני כ-120 שנה ומאז היו עוד רעידות אדירות אך פחות הרסניות
2) השמורה היא הריכוז האדיר ביותר של הפרג הקליפורני הכתום. הייתי שם בחודש מרץ וזה פשוט מהמם
2) השמורה היא הריכוז האדיר ביותר של הפרג הקליפורני הכתום. הייתי שם בחודש מרץ וזה פשוט מהמם
- ☼
- ●
- שימו לב שכל הרעידות הגדולות הן לאורך שבר סן אנדריאס חנוך א
- 93
- מיקום: רמת גן
- 93
פרט לנקודה 3
- ☼
- ●
- בשעות האחרונות גשם כבד ללא הפוגה כלל אוריין
- 125
- מיקום: לוס אנגלס קליפורניה
- 125
אצלי ירדו כמאה ממ ב10 שעות האחרונות.
- ☼
- o
- תשמרי על עצמך רותי
- 57
- מיקום: כרמיאל
- 57
- ☼
- o
- מצפון ללוס אנג'לס כבר 210 ממ חנוך א
- 116
- מיקום: רמת גן
- 116
- ☼
- ●
- יש מצב שיקבלו כמות שנתית תוך פחות מיממה חנוך א
- 111
- מיקום: רמת גן
- 111
הכמות השנתית כ-310 ממ
- ☼
- o
- התמונה הקטנה והגדולה חנוך א
- 137
- מיקום: רמת גן
- 137
- ☼
- o
- כצפוי עם כמויות כאלה, הרבה כבישים נחסמו חנוך א
- 124
- מיקום: רמת גן
- 124
- ☼
- ●
- מספרים מטורפים חנוך א
- 103
- מיקום: רמת גן
- 103
ב-Santa Clarita הממוצע השנתי הוא 310 ממ
ב-12 החודשים האחרונים ירדו שם 1100 ממ !!!
ב-12 החודשים האחרונים ירדו שם 1100 ממ !!!
- ☼
- o
- אופה, או פפה!!! המוביל הבטוח
- 55
- מיקום: נתיבות
- 55
- ☼
- o
- תחנה מצפון להרי סן גבריאל עם 218 ממ אתמול חנוך א
- 89
- מיקום: רמת גן
- 89
- ☼
- ●
- ככה זה כשגרים מול האוקינוס...הכל יכול לקרות וזו המוביל הבטוח
- 44
הוספת דיווח
מקרא סימנים
הוספת תגובה- ☼ הודעה חדשה
- ● הודעה עם תוכן
- o הודעה ללא תוכן
משקיען
מדווח מאתר סקי
מדווח מלב ים




