הסופה תפגע באיים קטנים באזור ברבדוס
- ☼
- ●
- עונת ההוריקנים: שקע או סופה טרופית תיווצר ככל הנראה מזרחית לאנטיילים הקטנים Weather2day
- 417
- 417
מאוחר יותר היום או בשבת
- ☼
- o
- 3 שקעים יצאו לדרכם, 3 שקעים מבאר שבע לדן חנוך א
- 207
- מיקום: רמת גן
- 207
- ☼
- ●
- התראה כתומה לציקלון טרופי TWO-24 Weather2day
- 130
- 130
השקע מקבל שם חדש לקראת ככל הנראה לקראת מימוש האופציה שלו על השם "בריל"
השקע משפיע כעת על סנט וינסנט והגרנדינים עם רוחות סביב 60 קמ"ש.
עוצמת הרוחות תתחזק ככל הנראה מעל ל-160 קמ"ש בחמישה ימים הקרובים כאשר השקע במסלול ישיר לעבר ברבדוס והקאריביים.
על בסיס הנתיב החזוי צפויה השפעה הומניטרית בינונית בהתבסס על מסלולו ואירועי העבר.
השקע משפיע כעת על סנט וינסנט והגרנדינים עם רוחות סביב 60 קמ"ש.
עוצמת הרוחות תתחזק ככל הנראה מעל ל-160 קמ"ש בחמישה ימים הקרובים כאשר השקע במסלול ישיר לעבר ברבדוס והקאריביים.
על בסיס הנתיב החזוי צפויה השפעה הומניטרית בינונית בהתבסס על מסלולו ואירועי העבר.
ההודעה נערכה
- ☼
- ●
- הסופה "בריל" (Beryl) תהפוך להוריקן בקטגוריה 4 Weather2day
- 187
- 187
לפחות כך על פי מודל HWRF
- ☼
- ●
- הסופה תפגע באיים קטנים באזור ברבדוס חנוך א
- 138
- ☼
- o
- צפי ל-100 ממ מדרום לברבדוס חנוך א
- 107
- מיקום: רמת גן
- 107
- ☼
- o
- הצפי לקינגסטאון, באי סיינט וינסנט חנוך א
- 77
- מיקום: רמת גן
- 77
- ☼
- o
- "בריל" כעת הוריקן בקטגוריה 1 עם רוחות בעוצמה של 120 קמ"ש Weather2day
- 127
- ☼
- ●
- התחלנו: התראה אדומה למסלול הסופה ב72 שעות הבאות Weather2day
- 134
- 134
עבור ברבדוס, טרינידד וטובגו, סנט לוסיה, סנט וינסנט והגרנדינים, גרנדה, הרפובליקה הדומיניקנית, האיטי, ג'מייקה, איי קיימן
- ☼
- o
- גירסה ב' חנוך א
- 92
- מיקום: רמת גן
- 92
- ☼
- o
- פס הגשם החזוי. צפי ל-220 ממ בג'מייקה חנוך א
- 111
- מיקום: רמת גן
- 111
- ☼
- ●
- בדרך לעוצמה 4 חנוך א
- 87
- מיקום: רמת גן
- 87
יפגע ב-Hillsborough במדינונת גרנדה
- ☼
- ●
- עוצמה 4 בראשון ליולי זה אירוע נדיר ביותר חנוך א
- 110
- מיקום: רמת גן
- 110
הוכחה נוספת לכך שהאקלים הולך ומקצין
- ☼
- ●
- הוריקן "בריל" כעת בקטגוריה 3 (מג'ור) מתקדם במהירות להיות הוריקן בקטגוריה 4 Weather2day
- 156
- 156
צפי לרוחות בעוצמה של מעל 200 קמ"ש!
ההודעה נערכה
- ☼
- o
- וואו!!! נעם
- 45
- מיקום: נתניה מזרח
- 45
- ☼
- o
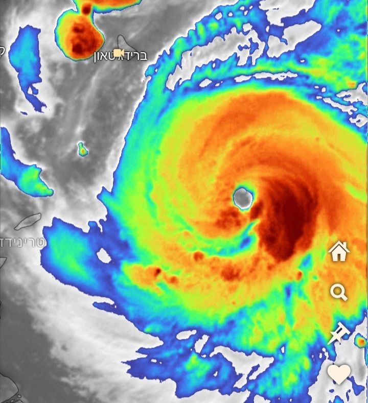
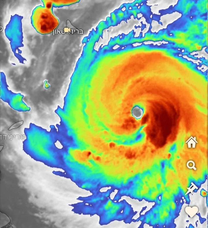
- יש לנו עין מרשימה Weather2day
- 99
- ☼
- o
- עדכון הוריקן "בריל" - קטגוריה 4 Weather2day
- 126
- 126
- ☼
- o
- המהיר בהיסטוריה? וגם החזק ביותר ביוני עד כה אמיתי
- 12
- 12
- ☼
- o
- Beryl קרוב לשיא ואז יתחיל לדעוך הדרגתית חנוך א
- 69
- מיקום: רמת גן
- 69
- ☼
- ●
- Hillsborogh תחטוף תוך יום חנוך א
- 47
- מיקום: רמת גן
- 47
לפי התחזית היא לא תהיה באמצע העין כי אז צפוי גרף רוח בצורת M
נמתין ונראה
נמתין ונראה
- ☼
- o
- מי שיהיה בתוך העין זה הקצה הדרומי של האי חנוך א
- 56
- מיקום: רמת גן
- 56
- ☼
- o
- Bridgetown, ברבדוס, הרוח - 47 קמש חנוך א
- 46
- מיקום: רמת גן
- 46
- ☼
- o
- הרוח - 63 קמש חנוך א
- 32
- מיקום: רמת גן
- 32
- ☼
- o
- הרוח - 72 קמש חנוך א
- 18
- מיקום: רמת גן
- 18
- ☼
- o
- מהירות הרוח - 84 קמש חנוך א
- 27
- מיקום: רמת גן
- 27
- ☼
- ●
- בוקר טוב להוריקן "בריל" ולקאריביים Weather2day
- 70
- 70
הסופה חולפת כעת מדרום לאי ברבדוס
- ☼
- ●
- הרוח וכיוון הרוח בדרום ברבדוס חנוך א
- 31
- מיקום: רמת גן
- 31
והמפלצת מתקרבת לאיי גרנדה
- ☼
- o
- Beryl נחלש קצת - "רק" 215 קמש חנוך א
- 39
- מיקום: רמת גן
- 39
- ☼
- o
- Beryl כיסח את גרנדה עם 240 קמש חנוך א
- 30
- מיקום: רמת גן
- 30
- ☼
- o
- העין לפני הפגיעה באי הזעיר, ובזמן הפגיעה חנוך א
- 33
- מיקום: רמת גן
- 33
- ☼
- ●
- הוריקן "בריל" כמעט בקטגוריה 5 עם רוחות בעוצמה של 240 קמ"ש Weather2day
- 42
- 42
הסופה חלפה על פני ברבדוס והאנטילים הקטנים ועושה דרכה בלב הים הקריבי לעבר ג'מייקה
- ☼
- o
- האי הקטן בעין הסערה חנוך א
- 31
- מיקום: רמת גן
- 31
- ☼
- o
- גירסה ב' חנוך א
- 23
- מיקום: רמת גן
- 23
- ☼
- o
- Beryl צפוי להיחלש משמעותית לפני שיפגע בחצי האי יוקטן חנוך א
- 33
- מיקום: רמת גן
- 33
הוספת דיווח
מקרא סימנים
הוספת תגובה- ☼ הודעה חדשה
- ● הודעה עם תוכן
- o הודעה ללא תוכן
משקיען
מדווח מאתר סקי
מדווח מלב ים



