Guasave חטפה 150 ממ למערכת
- ☼
- o
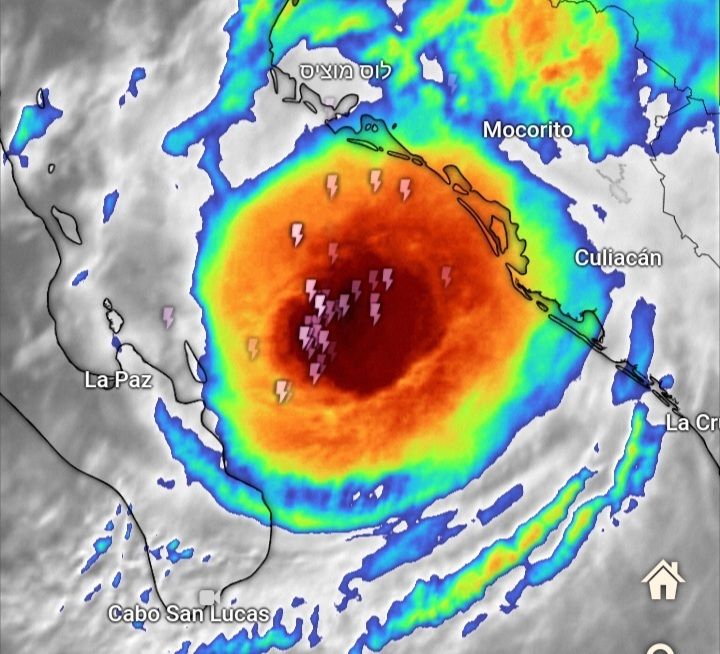
- Ileana יכה בדרום באחה קליפורניה חנוך א
- 325
- מיקום: רמת גן
- 325
- ☼
- o
- התרעה לפני 10 שעות חנוך א
- 162
- מיקום: רמת גן
- 162
- ☼
- o
- לווין חנוך א
- 111
- מיקום: רמת גן
- 111
- ☼
- ●
- המבול התחיל בבאחה קליפורניה חנוך א
- 160
- מיקום: רמת גן
- 160
כבר מעל 60 ממ
- ☼
- o
- צפי - עד 150 ממ חנוך א
- 121
- מיקום: רמת גן
- 121
- ☼
- o
- טירוף של ממש! זו חתיכת מפלצת, שלא לומר חבורת מפלצות תום
- 101
- מיקום: פתח תקווה
- 101
- ☼
- o
- כבר 90 ממ חנוך א
- 98
- מיקום: רמת גן
- 98
- ☼
- o
- מבול מדברי רציני - 150 ממ חנוך א
- 129
- מיקום: רמת גן
- 129
- ☼
- o
- 170 ממ חנוך א
- 65
- מיקום: רמת גן
- 65
- ☼
- ●
- דיווח חנוך א
- 73
- מיקום: רמת גן
- 73
BCS = מחוז באחה קליפורניה הדרומי
- ☼
- o
- נחצה קו 200 ממ חנוך א
- 89
- מיקום: רמת גן
- 89
- ☼
- o
- הגשם נוטש חנוך א
- 108
- מיקום: רמת גן
- 108
- ☼
- o
- המערכת מעל לים קורטז חנוך א
- 96
- מיקום: רמת גן
- 96
- ☼
- ●
- המערכת והגשם עברו לצד המזרחי של מפרץ קליפורניה חנוך א
- 85
- מיקום: רמת גן
- 85
כ-40 ממ בשעות האחרונות
- ☼
- o
- המערכת צפויה להישאר מעל מפרץ קליפורניה חנוך א
- 83
- מיקום: רמת גן
- 83
- ☼
- ●
- בדרום באחה קליפורניה יש רכס הרים בגובה 2000 מטר חנוך א
- 89
- מיקום: רמת גן
- 89
הרכס הזה חטף הרבה גשם מהוריקן Ileana ובכללי הוריקנים הם מקור עיקרי לגשם באזור. על אף שזהו אזור מדברי, בגלל הגובה וההוריקנים ראש הרכס מקבל בממוצע 650 ממ בשנה והטמפ בקיץ רק 23 מעלות
- ☼
- ●
- ולכן... חנוך א
- 93
- מיקום: רמת גן
- 93
יערות אלונים ומחטניים, מעיינות ובריכות מהממות
- ☼
- o
- Ileana עכשיו חנוך א
- 52
- מיקום: רמת גן
- 52
- ☼
- o
- 100 ממ בצד המזרחי של מפרץ קליפורניה חנוך א
- 50
- מיקום: רמת גן
- 50
- ☼
- o
- Guasave חטפה 150 ממ למערכת חנוך א
- 51
הוספת דיווח
מקרא סימנים
הוספת תגובה- ☼ הודעה חדשה
- ● הודעה עם תוכן
- o הודעה ללא תוכן
משקיען
מדווח מאתר סקי
מדווח מלב ים

