סופר טייפון ראגסה - Super Typhoon Ragasa 2025
- ☼
- ●
- סופר טייפון ראגסה - Super Typhoon Ragasa 2025 Weather2day
- 468
- ☼
- o
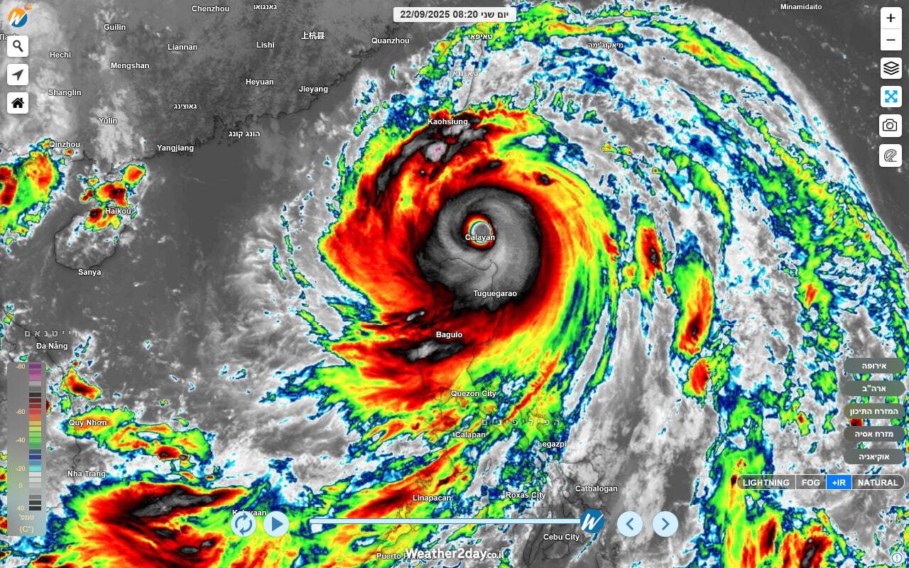
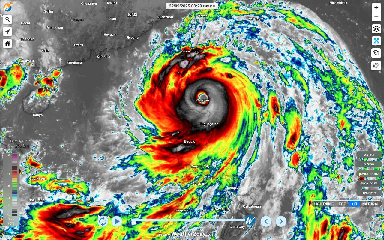
- Ragasa בלע את Calayan ואחר כך ירק אותו חנוך א
- 143
- מיקום: רמת גן
- 143
- ☼
- o
- משבים של כ-300 קמש ב-Calayan חנוך א
- 125
- מיקום: רמת גן
- 125
- ☼
- o
- לפני 3 שעות Calayan היה בתוך העין חנוך א
- 140
- מיקום: רמת גן
- 140
- ☼
- o
- Calayan בתוך עין המפלצת חנוך א
- 104
- מיקום: רמת גן
- 104
- ☼
- ●
- Ragasa יוצרת עכשיו מחסום אדיר חנוך א
- 118
- מיקום: רמת גן
- 118
בתעבורה המסחרית העולמית, בעיקר של סין
- ☼
- o
- כמויות ב-36 שעות, הערכה ל-24 שעות חנוך א
- 158
- מיקום: רמת גן
- 158
- ☼
- o
- שולי ragasa מכים בהונג קונג חנוך א
- 74
- מיקום: רמת גן
- 74
- ☼
- o
- האח הצעיר opong בדרך חנוך א
- 79
- מיקום: רמת גן
- 79
- ☼
- o
- ביקור המפלצת חנוך א
- 142
- מיקום: רמת גן
- 142
הוספת דיווח
מקרא סימנים
הוספת תגובה- ☼ הודעה חדשה
- ● הודעה עם תוכן
- o הודעה ללא תוכן
משקיען
מדווח מאתר סקי
מדווח מלב ים

